RD info - Punten
Punten
Er zijn ongeveer 5600 RD-punten, onderverdeeld in RD-net, GNSS-kernnet, AGRS- en NETPOS-stations. Elk RD-punt bestaat uit meerdere Stations waarvan de coördinaten in RD en ETRS89 bekend zijn. De gehele publicatie, inclusief geschiedenis van het RD-punt, bestaat uit ruim 47000 stations (lees: records). Van de ongeveer 5600 RD-punten zijn er ongeveer 400, verspreid over Nederland liggende,…
| 2ac14b0a-4c9f-563c-b07f-d19d014232bc | |
|---|---|
| afbeelding | https://www.nsgi.nl/iv-api/rdinfo/images/160/160517e.jpg |
| beheerinfo | n.v.t. |
| benaming | Westerdrift 1 Diever |
| blad | 160 |
| bladdeel | B |
| gid | |
| gps | 0 |
| honum | 11 |
| ingerekend | Ja |
| mutatie | 2 |
| punt | 517 |
| rekendossier | 870109 |
| uitgavejaarext | 2002 |
| uitgavevolgext | 2 |
| xrd | 216701 |
| yrd | 540453 |
| cf62e4bb-528f-5880-8294-8eeb970ab879 | |
|---|---|
| afbeelding | https://www.nsgi.nl/iv-api/rdinfo/images/160/160518e.jpg |
| beheerinfo | n.v.t. |
| benaming | Loswal Dieverbrug |
| blad | 160 |
| bladdeel | B |
| gid | |
| gps | 0 |
| honum | 12 |
| ingerekend | Ja |
| mutatie | 2 |
| punt | 518 |
| rekendossier | 870102 |
| uitgavejaarext | 2013 |
| uitgavevolgext | 2 |
| xrd | 219222 |
| yrd | 540264 |
| 44df38c8-2cb2-5055-99fe-cea5d1fc06fa | |
|---|---|
| afbeelding | https://www.nsgi.nl/iv-api/rdinfo/images/160/160523e.jpg |
| beheerinfo | n.v.t. |
| benaming | H.K. Wapserveen |
| blad | 160 |
| bladdeel | B |
| gid | |
| gps | 0 |
| honum | 12 |
| ingerekend | Ja |
| mutatie | 2 |
| punt | 523 |
| rekendossier | 881101 |
| uitgavejaarext | 2003 |
| uitgavevolgext | 3 |
| xrd | 212665 |
| yrd | 538361 |
| 06c0b2d4-b122-5176-9629-d32d8b457bd9 | |
|---|---|
| afbeelding | https://www.nsgi.nl/iv-api/rdinfo/images/160/160524e.jpg |
| beheerinfo | n.v.t. |
| benaming | Oosteinde 3 Wapserveen |
| blad | 160 |
| bladdeel | B |
| gid | |
| gps | 0 |
| honum | 11 |
| ingerekend | Ja |
| mutatie | 2 |
| punt | 524 |
| rekendossier | 881101 |
| uitgavejaarext | 2002 |
| uitgavevolgext | 1 |
| xrd | 214427 |
| yrd | 538536 |
| 192c544a-77e5-5819-ae03-b6867b20782e | |
|---|---|
| afbeelding | https://www.nsgi.nl/iv-api/rdinfo/images/160/160525e.jpg |
| beheerinfo | n.v.t. |
| benaming | Stuw Kattemade |
| blad | 160 |
| bladdeel | D |
| gid | |
| gps | 0 |
| honum | 11 |
| ingerekend | Ja |
| mutatie | 2 |
| punt | 525 |
| rekendossier | 870102 |
| uitgavejaarext | 2002 |
| uitgavevolgext | 1 |
| xrd | 218249 |
| yrd | 534725 |
| 0544aee6-ff7b-534a-9d6a-8c75b8506b2e | |
|---|---|
| afbeelding | https://www.nsgi.nl/iv-api/rdinfo/images/160/160526e.jpg |
| beheerinfo | n.v.t. |
| benaming | Stuw Oude Vaart Uffelte |
| blad | 160 |
| bladdeel | D |
| gid | |
| gps | 0 |
| honum | 11 |
| ingerekend | Ja |
| mutatie | 2 |
| punt | 526 |
| rekendossier | 870401 |
| uitgavejaarext | 2002 |
| uitgavevolgext | 1 |
| xrd | 216157 |
| yrd | 534075 |
| ea235d9f-25c4-541b-8780-d0d2f363114a | |
|---|---|
| afbeelding | https://www.nsgi.nl/iv-api/rdinfo/images/160/160528e.jpg |
| beheerinfo | n.v.t. |
| benaming | Stuw Armweide Ruinen |
| blad | 160 |
| bladdeel | D |
| gid | |
| gps | 0 |
| honum | 11 |
| ingerekend | Ja |
| mutatie | 2 |
| punt | 528 |
| rekendossier | 870401 |
| uitgavejaarext | 2002 |
| uitgavevolgext | 1 |
| xrd | 218024 |
| yrd | 532196 |
| 1b662cfc-24bb-5797-9a61-027d71b73942 | |
|---|---|
| afbeelding | https://www.nsgi.nl/iv-api/rdinfo/images/160/160529e.jpg |
| beheerinfo | n.v.t. |
| benaming | Stuw Hesselterweg Havelte |
| blad | 160 |
| bladdeel | D |
| gid | |
| gps | 0 |
| honum | 11 |
| ingerekend | Ja |
| mutatie | 2 |
| punt | 529 |
| rekendossier | 870401 |
| uitgavejaarext | 2002 |
| uitgavevolgext | 1 |
| xrd | 214297 |
| yrd | 530470 |
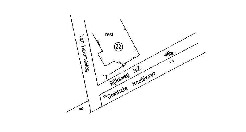
| 2b5f6797-ea1a-5e40-b918-f2ef503f60d1 | |
|---|---|
| afbeelding | https://www.nsgi.nl/iv-api/rdinfo/images/160/160536e.jpg |
| beheerinfo | n.v.t. |
| benaming | Rijksweg N.Z. 22 Havelte |
| blad | 160 |
| bladdeel | D |
| gid | |
| gps | 0 |
| honum | 11 |
| ingerekend | Ja |
| mutatie | 2 |
| punt | 536 |
| rekendossier | 881101 |
| uitgavejaarext | 2000 |
| uitgavevolgext | 3 |
| xrd | 212073 |
| yrd | 530687 |
| 163e9df2-480a-5cca-abc9-45bf038f13c2 | |
|---|---|
| afbeelding | https://www.nsgi.nl/iv-api/rdinfo/images/160/160538e.jpg |
| beheerinfo | n.v.t. |
| benaming | De Veendijk 25 Havelte |
| blad | 160 |
| bladdeel | D |
| gid | |
| gps | 0 |
| honum | 11 |
| ingerekend | Ja |
| mutatie | 2 |
| punt | 538 |
| rekendossier | 881101 |
| uitgavejaarext | 2002 |
| uitgavevolgext | 1 |
| xrd | 210116 |
| yrd | 529086 |