RD info - Punten
Punten
Er zijn ongeveer 5600 RD-punten, onderverdeeld in RD-net, GNSS-kernnet, AGRS- en NETPOS-stations. Elk RD-punt bestaat uit meerdere Stations waarvan de coördinaten in RD en ETRS89 bekend zijn. De gehele publicatie, inclusief geschiedenis van het RD-punt, bestaat uit ruim 47000 stations (lees: records). Van de ongeveer 5600 RD-punten zijn er ongeveer 400, verspreid over Nederland liggende,…
| e7a25bf8-2766-58b1-b074-0ee7d1f5cacb | |
|---|---|
| afbeelding | https://www.nsgi.nl/iv-api/rdinfo/images/119/119326e.jpg |
| beheerinfo | n.v.t. |
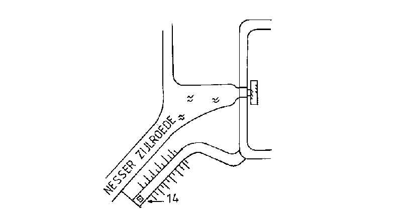
| benaming | P.T.T.mast Irnsum |
| blad | 119 |
| bladdeel | A |
| gid | |
| gps | 0 |
| honum | 12 |
| ingerekend | Ja |
| mutatie | 2 |
| punt | 326 |
| rekendossier | 780308 |
| uitgavejaarext | 2000 |
| uitgavevolgext | 3 |
| xrd | 182097 |
| yrd | 566479 |
| cdbb19d9-fb05-5014-a27e-27a3e7e20f8b | |
|---|---|
| afbeelding | https://www.nsgi.nl/iv-api/rdinfo/images/119/119327e.jpg |
| beheerinfo | n.v.t. |
| benaming | H.K. Haskerhorne |
| blad | 119 |
| bladdeel | C |
| gid | |
| gps | 0 |
| honum | 12 |
| ingerekend | Ja |
| mutatie | 2 |
| punt | 327 |
| rekendossier | 780309 |
| uitgavejaarext | 2001 |
| uitgavevolgext | 1 |
| xrd | 184723 |
| yrd | 551914 |
| 165cf2ee-5d89-5a3f-b2ed-195a662f2970 | |
|---|---|
| afbeelding | https://www.nsgi.nl/iv-api/rdinfo/images/119/119328e.jpg |
| beheerinfo | n.v.t. |
| benaming | R.K.K. Heerenveen |
| blad | 119 |
| bladdeel | D |
| gid | |
| gps | 0 |
| honum | 13 |
| ingerekend | Ja |
| mutatie | 2 |
| punt | 328 |
| rekendossier | 830404 |
| uitgavejaarext | 2001 |
| uitgavevolgext | 3 |
| xrd | 190857 |
| yrd | 552804 |
| db30d539-395e-5949-bfb2-7ee05cb55b71 | |
|---|---|
| afbeelding | https://www.nsgi.nl/iv-api/rdinfo/images/119/119329e.jpg |
| beheerinfo | n.v.t. |
| benaming | Recreatieterrein Smalle Ee |
| blad | 119 |
| bladdeel | B |
| gid | |
| gps | 0 |
| honum | 13 |
| ingerekend | Ja |
| mutatie | 2 |
| punt | 329 |
| rekendossier | 860701 |
| uitgavejaarext | 2000 |
| uitgavevolgext | 3 |
| xrd | 197454 |
| yrd | 569037 |
| 965c4601-53b1-59c2-91a9-831661b09815 | |
|---|---|
| afbeelding | https://www.nsgi.nl/iv-api/rdinfo/images/119/119330e.jpg |
| beheerinfo | n.v.t. |
| benaming | Brug nabij Kraenlânswei 1 |
| blad | 119 |
| bladdeel | B |
| gid | |
| gps | 0 |
| honum | 13 |
| ingerekend | Ja |
| mutatie | 2 |
| punt | 330 |
| rekendossier | 860701 |
| uitgavejaarext | 2000 |
| uitgavevolgext | 3 |
| xrd | 192821 |
| yrd | 567944 |
| 1b1bb7fc-47ba-5dba-9850-57f9652ff408 | |
|---|---|
| afbeelding | https://www.nsgi.nl/iv-api/rdinfo/images/119/119331e.jpg |
| beheerinfo | n.v.t. |
| benaming | Trafo Kobbewei 5 Goëngahuizen |
| blad | 119 |
| bladdeel | A |
| gid | |
| gps | 0 |
| honum | 12 |
| ingerekend | Ja |
| mutatie | 2 |
| punt | 331 |
| rekendossier | 860701 |
| uitgavejaarext | 2000 |
| uitgavevolgext | 3 |
| xrd | 189747 |
| yrd | 567238 |
| d48e5e85-a0b3-5106-bca9-de7ae7504f17 | |
|---|---|
| afbeelding | https://www.nsgi.nl/iv-api/rdinfo/images/119/119332e.jpg |
| beheerinfo | n.v.t. |
| benaming | Gemaal Birstum |
| blad | 119 |
| bladdeel | A |
| gid | |
| gps | 0 |
| honum | 14 |
| ingerekend | Ja |
| mutatie | 2 |
| punt | 332 |
| rekendossier | 860701 |
| uitgavejaarext | 2000 |
| uitgavevolgext | 3 |
| xrd | 186764 |
| yrd | 565590 |
| 663e296b-b454-541f-947e-97bf5a6f72b4 | |
|---|---|
| afbeelding | https://www.nsgi.nl/iv-api/rdinfo/images/119/119336a.jpg https://www.nsgi.nl/iv-api/rdinfo/images/119/119336b.jpg https://www.nsgi.nl/iv-api/rdinfo/images/119/119336c.jpg https://www.nsgi.nl/iv-api/rdinfo/images/119/119336e.jpg |
| beheerinfo | n.v.t. |
| benaming | Duiker Grienedyk |
| blad | 119 |
| bladdeel | A |
| gid | |
| gps | 1 |
| honum | 17 |
| ingerekend | Ja |
| mutatie | 2 |
| punt | 336 |
| rekendossier | 961003 |
| uitgavejaarext | 2024 |
| uitgavevolgext | 7 |
| xrd | 181140 |
| yrd | 563867 |
| 4b664969-04e4-5a0e-98da-fe3497b09f7f | |
|---|---|
| afbeelding | https://www.nsgi.nl/iv-api/rdinfo/images/119/119338a.jpg https://www.nsgi.nl/iv-api/rdinfo/images/119/119338b.jpg https://www.nsgi.nl/iv-api/rdinfo/images/119/119338c.jpg https://www.nsgi.nl/iv-api/rdinfo/images/119/119338e.jpg |
| beheerinfo | n.v.t. |
| benaming | Steen R.D. Kolderveen |
| blad | 119 |
| bladdeel | D |
| gid | |
| gps | 1 |
| honum | 16 |
| ingerekend | Ja |
| mutatie | 2 |
| punt | 338 |
| rekendossier | 0 |
| uitgavejaarext | 2022 |
| uitgavevolgext | 4 |
| xrd | 199228 |
| yrd | 560271 |
| ac15d7e9-e86b-56ea-8661-82a15ece6acb | |
|---|---|
| afbeelding | |
| beheerinfo | n.v.t. |
| benaming | NETPOS-station Joure |
| blad | 119 |
| bladdeel | C |
| gid | |
| gps | 1 |
| honum | 11 |
| ingerekend | Ja |
| mutatie | 2 |
| punt | 339 |
| rekendossier | |
| uitgavejaarext | 2024 |
| uitgavevolgext | 8 |
| xrd | 183616 |
| yrd | 552807 |