RD info - Punten
Punten
Er zijn ongeveer 5600 RD-punten, onderverdeeld in RD-net, GNSS-kernnet, AGRS- en NETPOS-stations. Elk RD-punt bestaat uit meerdere Stations waarvan de coördinaten in RD en ETRS89 bekend zijn. De gehele publicatie, inclusief geschiedenis van het RD-punt, bestaat uit ruim 47000 stations (lees: records). Van de ongeveer 5600 RD-punten zijn er ongeveer 400, verspreid over Nederland liggende,…
| 1b853cfb-ffb9-5dcc-b8c1-64be848b3fca | |
|---|---|
| afbeelding | https://www.nsgi.nl/iv-api/rdinfo/images/120/120526e.jpg |
| beheerinfo | n.v.t. |
| benaming | J.R. Stuutstraat F 88 |
| blad | 120 |
| bladdeel | B |
| gid | |
| gps | 0 |
| honum | 11 |
| ingerekend | Ja |
| mutatie | 2 |
| punt | 526 |
| rekendossier | 830119 |
| uitgavejaarext | 2000 |
| uitgavevolgext | 3 |
| xrd | 259463 |
| yrd | 564951 |
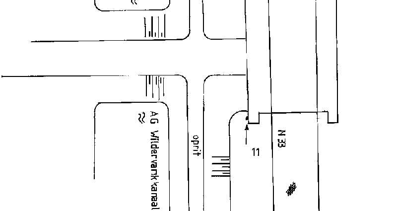
| f3c96e63-c6f7-5dc4-ab5d-5924ebe9390c | |
|---|---|
| afbeelding | https://www.nsgi.nl/iv-api/rdinfo/images/120/120532e.jpg |
| beheerinfo | n.v.t. |
| benaming | Viaduct Rijksweg 33 Meeden |
| blad | 120 |
| bladdeel | B |
| gid | |
| gps | 0 |
| honum | 11 |
| ingerekend | Ja |
| mutatie | 2 |
| punt | 532 |
| rekendossier | 890201 |
| uitgavejaarext | 2000 |
| uitgavevolgext | 3 |
| xrd | 256140 |
| yrd | 573030 |
| 117da794-76cc-5fea-9374-74ba31dc5368 | |
|---|---|
| afbeelding | https://www.nsgi.nl/iv-api/rdinfo/images/129/129111e.jpg |
| beheerinfo | n.v.t. |
| benaming | Watertoren Troelstralaan Assen |
| blad | 129 |
| bladdeel | D |
| gid | |
| gps | 0 |
| honum | 16 |
| ingerekend | Ja |
| mutatie | 2 |
| punt | 111 |
| rekendossier | 0 |
| uitgavejaarext | 2000 |
| uitgavevolgext | 3 |
| xrd | 233082 |
| yrd | 557062 |
| c794dd85-027e-5e25-b762-d2eb221a8ce8 | |
|---|---|
| afbeelding | https://www.nsgi.nl/iv-api/rdinfo/images/129/129201e.jpg |
| beheerinfo | n.v.t. |
| benaming | H.K. Smilde |
| blad | 129 |
| bladdeel | C |
| gid | |
| gps | 0 |
| honum | 14 |
| ingerekend | Ja |
| mutatie | 2 |
| punt | 201 |
| rekendossier | 760923 |
| uitgavejaarext | 2002 |
| uitgavevolgext | 3 |
| xrd | 226188 |
| yrd | 551903 |
| 0a66ebbf-ed6a-5fbd-b1be-233682ec6842 | |
|---|---|
| afbeelding | https://www.nsgi.nl/iv-api/rdinfo/images/129/129202e.jpg |
| beheerinfo | n.v.t. |
| benaming | H.K. Rolde |
| blad | 129 |
| bladdeel | D |
| gid | |
| gps | 0 |
| honum | 13 |
| ingerekend | Ja |
| mutatie | 2 |
| punt | 202 |
| rekendossier | 760923 |
| uitgavejaarext | 2002 |
| uitgavevolgext | 3 |
| xrd | 239502 |
| yrd | 556505 |
| 10fc6b63-c787-5d75-aff2-991879f78b5a | |
|---|---|
| afbeelding | https://www.nsgi.nl/iv-api/rdinfo/images/129/129203e.jpg |
| beheerinfo | n.v.t. |
| benaming | H.K. en R.K.K. Veenhuizen |
| blad | 129 |
| bladdeel | C |
| gid | |
| gps | 0 |
| honum | 13 |
| ingerekend | Ja |
| mutatie | 2 |
| punt | 203 |
| rekendossier | 760923 |
| uitgavejaarext | 2000 |
| uitgavevolgext | 3 |
| xrd | 222544 |
| yrd | 560960 |
| f40964a7-dab4-5cf6-8664-0e97f1f802e0 | |
|---|---|
| afbeelding | https://www.nsgi.nl/iv-api/rdinfo/images/129/129204e.jpg |
| beheerinfo | n.v.t. |
| benaming | H.K. Norg |
| blad | 129 |
| bladdeel | A |
| gid | |
| gps | 0 |
| honum | 13 |
| ingerekend | Ja |
| mutatie | 2 |
| punt | 204 |
| rekendossier | 760923 |
| uitgavejaarext | 2000 |
| uitgavevolgext | 3 |
| xrd | 226995 |
| yrd | 564923 |
| 1604d960-efd5-56ae-bc53-d02fd8b57429 | |
|---|---|
| afbeelding | https://www.nsgi.nl/iv-api/rdinfo/images/129/129205e.jpg |
| beheerinfo | n.v.t. |
| benaming | H.K. Vries |
| blad | 129 |
| bladdeel | B |
| gid | |
| gps | 0 |
| honum | 14 |
| ingerekend | Ja |
| mutatie | 2 |
| punt | 205 |
| rekendossier | 760923 |
| uitgavejaarext | 2000 |
| uitgavevolgext | 3 |
| xrd | 234801 |
| yrd | 566310 |
| 5f35f0c5-ce2c-5206-98cf-e9858b847293 | |
|---|---|
| afbeelding | https://www.nsgi.nl/iv-api/rdinfo/images/129/129206e.jpg |
| beheerinfo | n.v.t. |
| benaming | H.K. Peize |
| blad | 129 |
| bladdeel | A |
| gid | |
| gps | 0 |
| honum | 13 |
| ingerekend | Ja |
| mutatie | 2 |
| punt | 206 |
| rekendossier | 760923 |
| uitgavejaarext | 2000 |
| uitgavevolgext | 3 |
| xrd | 229173 |
| yrd | 573933 |
| fc498076-185e-50fa-8660-7507a0258645 | |
|---|---|
| afbeelding | https://www.nsgi.nl/iv-api/rdinfo/images/129/129301e.jpg |
| beheerinfo | n.v.t. |
| benaming | H.K. Nieuw-Appelscha |
| blad | 129 |
| bladdeel | C |
| gid | |
| gps | 0 |
| honum | 12 |
| ingerekend | Ja |
| mutatie | 2 |
| punt | 301 |
| rekendossier | 771114 |
| uitgavejaarext | 2000 |
| uitgavevolgext | 3 |
| xrd | 220263 |
| yrd | 552245 |