RD info - Punten
Punten
Er zijn ongeveer 5600 RD-punten, onderverdeeld in RD-net, GNSS-kernnet, AGRS- en NETPOS-stations. Elk RD-punt bestaat uit meerdere Stations waarvan de coördinaten in RD en ETRS89 bekend zijn. De gehele publicatie, inclusief geschiedenis van het RD-punt, bestaat uit ruim 47000 stations (lees: records). Van de ongeveer 5600 RD-punten zijn er ongeveer 400, verspreid over Nederland liggende,…
| 7cfd2265-b2d3-5ea6-ac8d-68fb214a05db | |
|---|---|
| afbeelding | https://www.nsgi.nl/iv-api/rdinfo/images/139/139318e.jpg |
| beheerinfo | n.v.t. |
| benaming | H.K. Westerlee |
| blad | 139 |
| bladdeel | A |
| gid | |
| gps | 0 |
| honum | 12 |
| ingerekend | Ja |
| mutatie | 2 |
| punt | 318 |
| rekendossier | 780232 |
| uitgavejaarext | 2000 |
| uitgavevolgext | 3 |
| xrd | 261690 |
| yrd | 573995 |
| 3103f0bb-331c-5b25-b4ac-b049d9b1b12f | |
|---|---|
| afbeelding | https://www.nsgi.nl/iv-api/rdinfo/images/139/139319e.jpg |
| beheerinfo | n.v.t. |
| benaming | Alleenstaande toren Winschoten |
| blad | 139 |
| bladdeel | A |
| gid | |
| gps | 0 |
| honum | 15 |
| ingerekend | Ja |
| mutatie | 2 |
| punt | 319 |
| rekendossier | 770313 |
| uitgavejaarext | 2000 |
| uitgavevolgext | 3 |
| xrd | 265516 |
| yrd | 574138 |
| 5ee301d5-ccec-5771-92fa-3fdb953f54ab | |
|---|---|
| afbeelding | https://www.nsgi.nl/iv-api/rdinfo/images/139/139320e.jpg |
| beheerinfo | n.v.t. |
| benaming | Graansilo St. Vitusholt |
| blad | 139 |
| bladdeel | A |
| gid | |
| gps | 0 |
| honum | 12 |
| ingerekend | Ja |
| mutatie | 2 |
| punt | 320 |
| rekendossier | 780402 |
| uitgavejaarext | 2005 |
| uitgavevolgext | 2 |
| xrd | 264276 |
| yrd | 573806 |
| 759a8249-db36-50b0-adcf-7c48cf45ad83 | |
|---|---|
| afbeelding | https://www.nsgi.nl/iv-api/rdinfo/images/139/139321e.jpg |
| beheerinfo | n.v.t. |
| benaming | N.H. kapel Sellingerbeetse |
| blad | 139 |
| bladdeel | C |
| gid | |
| gps | 0 |
| honum | 12 |
| ingerekend | Ja |
| mutatie | 2 |
| punt | 321 |
| rekendossier | 790701 |
| uitgavejaarext | 2012 |
| uitgavevolgext | 3 |
| xrd | 268878 |
| yrd | 550755 |
| d26b64c7-1692-5e6a-bea1-cfe7c0e942cd | |
|---|---|
| afbeelding | https://www.nsgi.nl/iv-api/rdinfo/images/139/139322e.jpg |
| beheerinfo | n.v.t. |
| benaming | H.K. Veelerveen |
| blad | 139 |
| bladdeel | B |
| gid | |
| gps | 0 |
| honum | 12 |
| ingerekend | Ja |
| mutatie | 2 |
| punt | 322 |
| rekendossier | 790217 |
| uitgavejaarext | 2000 |
| uitgavevolgext | 3 |
| xrd | 271612 |
| yrd | 564631 |
| bbab412c-574a-531b-9180-d54d331b3698 | |
|---|---|
| afbeelding | https://www.nsgi.nl/iv-api/rdinfo/images/139/139323e.jpg |
| beheerinfo | n.v.t. |
| benaming | R.K.K. Neurhede (D.) |
| blad | 139 |
| bladdeel | D |
| gid | |
| gps | 0 |
| honum | 12 |
| ingerekend | Ja |
| mutatie | 2 |
| punt | 323 |
| rekendossier | 790217 |
| uitgavejaarext | 2000 |
| uitgavevolgext | 3 |
| xrd | 278695 |
| yrd | 561421 |
| c9b5f12e-0893-52d4-85a8-6d90d2e9da9c | |
|---|---|
| afbeelding | https://www.nsgi.nl/iv-api/rdinfo/images/139/139324e.jpg |
| beheerinfo | n.v.t. |
| benaming | H.K. Rhederweg |
| blad | 139 |
| bladdeel | B |
| gid | |
| gps | 0 |
| honum | 13 |
| ingerekend | Ja |
| mutatie | 2 |
| punt | 324 |
| rekendossier | 790217 |
| uitgavejaarext | 2000 |
| uitgavevolgext | 3 |
| xrd | 273859 |
| yrd | 568759 |
| ab8d7860-c364-5a7f-943e-2ea6bb659590 | |
|---|---|
| afbeelding | https://www.nsgi.nl/iv-api/rdinfo/images/139/139325e.jpg |
| beheerinfo | n.v.t. |
| benaming | Steen R.D. Rhederveld |
| blad | 139 |
| bladdeel | B |
| gid | |
| gps | 0 |
| honum | 12 |
| ingerekend | Ja |
| mutatie | 2 |
| punt | 325 |
| rekendossier | 790203 |
| uitgavejaarext | 2000 |
| uitgavevolgext | 3 |
| xrd | 276566 |
| yrd | 566505 |
| 71df6e08-81d8-559f-bef1-885d51580ce5 | |
|---|---|
| afbeelding | https://www.nsgi.nl/iv-api/rdinfo/images/139/139326e.jpg |
| beheerinfo | n.v.t. |
| benaming | H.K. Mussel |
| blad | 139 |
| bladdeel | C |
| gid | |
| gps | 0 |
| honum | 12 |
| ingerekend | Ja |
| mutatie | 2 |
| punt | 326 |
| rekendossier | 821210 |
| uitgavejaarext | 2000 |
| uitgavevolgext | 3 |
| xrd | 265941 |
| yrd | 553332 |
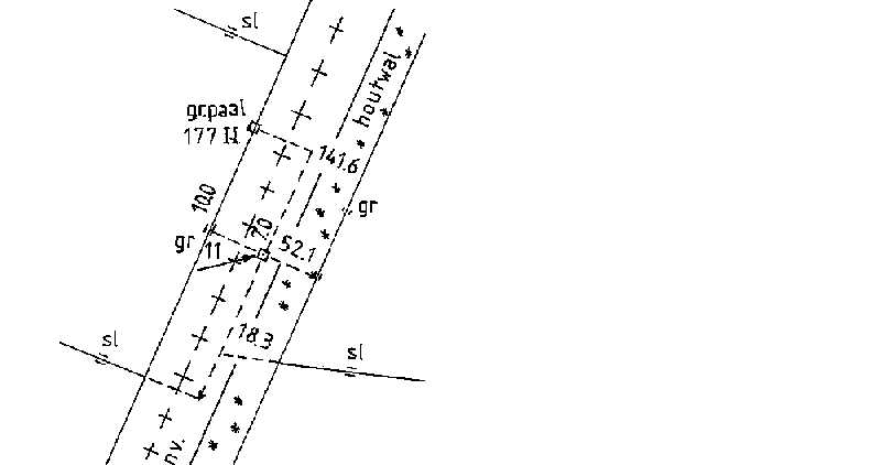
| 3e2fdc7a-9451-53b7-b3cc-23e48108d241 | |
|---|---|
| afbeelding | https://www.nsgi.nl/iv-api/rdinfo/images/139/139327e.jpg |
| beheerinfo | n.v.t. |
| benaming | T.P.steen Grenspaal 177 |
| blad | 139 |
| bladdeel | D |
| gid | |
| gps | 0 |
| honum | 12 |
| ingerekend | Ja |
| mutatie | 2 |
| punt | 327 |
| rekendossier | 870107 |
| uitgavejaarext | 2000 |
| uitgavevolgext | 3 |
| xrd | 276303 |
| yrd | 554630 |