RD info - Punten
Punten
Er zijn ongeveer 5600 RD-punten, onderverdeeld in RD-net, GNSS-kernnet, AGRS- en NETPOS-stations. Elk RD-punt bestaat uit meerdere Stations waarvan de coördinaten in RD en ETRS89 bekend zijn. De gehele publicatie, inclusief geschiedenis van het RD-punt, bestaat uit ruim 47000 stations (lees: records). Van de ongeveer 5600 RD-punten zijn er ongeveer 400, verspreid over Nederland liggende,…
| a80f0751-510f-5712-87b4-b0962933ced3 | |
|---|---|
| afbeelding | https://www.nsgi.nl/iv-api/rdinfo/images/139/139519e.jpg |
| beheerinfo | n.v.t. |
| benaming | Brug Blijham - Vlagtwedde |
| blad | 139 |
| bladdeel | A |
| gid | |
| gps | 0 |
| honum | 12 |
| ingerekend | Ja |
| mutatie | 2 |
| punt | 519 |
| rekendossier | 881107 |
| uitgavejaarext | 2000 |
| uitgavevolgext | 3 |
| xrd | 269814 |
| yrd | 563043 |
| 3c7f2a18-86e5-5a81-9def-1b9f332db3f4 | |
|---|---|
| afbeelding | https://www.nsgi.nl/iv-api/rdinfo/images/139/139520e.jpg |
| beheerinfo | n.v.t. |
| benaming | Bourtangerweg 1 Bourtange |
| blad | 139 |
| bladdeel | B |
| gid | |
| gps | 0 |
| honum | 11 |
| ingerekend | Ja |
| mutatie | 2 |
| punt | 520 |
| rekendossier | 881107 |
| uitgavejaarext | 2000 |
| uitgavevolgext | 3 |
| xrd | 275916 |
| yrd | 562961 |
| 34967ab1-fc3f-5516-9fb7-ab751de4dcd3 | |
|---|---|
| afbeelding | https://www.nsgi.nl/iv-api/rdinfo/images/139/139521e.jpg |
| beheerinfo | n.v.t. |
| benaming | Schakelkast B93 Vlagtwedde |
| blad | 139 |
| bladdeel | D |
| gid | |
| gps | 0 |
| honum | 12 |
| ingerekend | Ja |
| mutatie | 2 |
| punt | 521 |
| rekendossier | 881107 |
| uitgavejaarext | 2000 |
| uitgavevolgext | 3 |
| xrd | 273748 |
| yrd | 562450 |
| 348102ce-378e-572f-b645-dbf2d9a0c2f4 | |
|---|---|
| afbeelding | https://www.nsgi.nl/iv-api/rdinfo/images/139/139523e.jpg |
| beheerinfo | n.v.t. |
| benaming | Vledderkamp 84 Vlagtwedde |
| blad | 139 |
| bladdeel | D |
| gid | |
| gps | 0 |
| honum | 12 |
| ingerekend | Ja |
| mutatie | 2 |
| punt | 523 |
| rekendossier | 881107 |
| uitgavejaarext | 2000 |
| uitgavevolgext | 3 |
| xrd | 272460 |
| yrd | 561114 |
| daf47ec6-1a72-58d2-8e79-4f35788d5ba9 | |
|---|---|
| afbeelding | https://www.nsgi.nl/iv-api/rdinfo/images/139/139525e.jpg |
| beheerinfo | n.v.t. |
| benaming | Voormalige Zuivelfabriek Laude |
| blad | 139 |
| bladdeel | D |
| gid | |
| gps | 0 |
| honum | 12 |
| ingerekend | Ja |
| mutatie | 2 |
| punt | 525 |
| rekendossier | 821210 |
| uitgavejaarext | 2000 |
| uitgavevolgext | 3 |
| xrd | 272077 |
| yrd | 550533 |
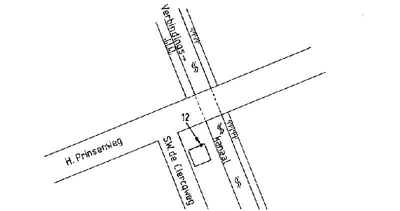
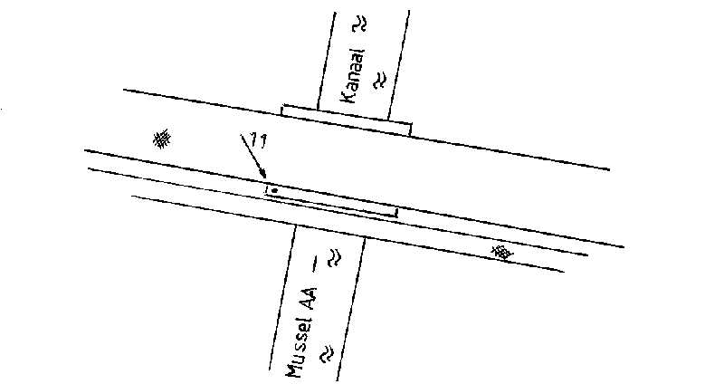
| 4e75290b-5007-5e98-a508-5dcb6b92dcf4 | |
|---|---|
| afbeelding | https://www.nsgi.nl/iv-api/rdinfo/images/139/139526e.jpg |
| beheerinfo | n.v.t. |
| benaming | Brug Mussel-Aa Kanaal |
| blad | 139 |
| bladdeel | C |
| gid | |
| gps | 0 |
| honum | 11 |
| ingerekend | Ja |
| mutatie | 2 |
| punt | 526 |
| rekendossier | 911201 |
| uitgavejaarext | 2000 |
| uitgavevolgext | 3 |
| xrd | 267716 |
| yrd | 560977 |
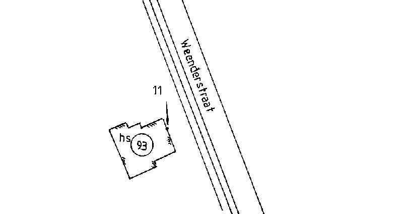
| cc81cbab-39d3-534b-916e-972807f4f49f | |
|---|---|
| afbeelding | https://www.nsgi.nl/iv-api/rdinfo/images/139/139527e.jpg |
| beheerinfo | n.v.t. |
| benaming | Weenderstraat 93 |
| blad | 139 |
| bladdeel | D |
| gid | |
| gps | 0 |
| honum | 11 |
| ingerekend | Ja |
| mutatie | 2 |
| punt | 527 |
| rekendossier | 911201 |
| uitgavejaarext | 2000 |
| uitgavevolgext | 3 |
| xrd | 271180 |
| yrd | 559793 |
| f28c06c5-401f-53dd-a292-b43c5d8d2fe6 | |
|---|---|
| afbeelding | https://www.nsgi.nl/iv-api/rdinfo/images/139/139528e.jpg |
| beheerinfo | n.v.t. |
| benaming | Wollinghuizerweg 101 |
| blad | 139 |
| bladdeel | D |
| gid | |
| gps | 0 |
| honum | 11 |
| ingerekend | Ja |
| mutatie | 2 |
| punt | 528 |
| rekendossier | 911201 |
| uitgavejaarext | 2000 |
| uitgavevolgext | 3 |
| xrd | 272550 |
| yrd | 559077 |
| 9b3de217-b761-54b1-b0e0-e002c6a5698d | |
|---|---|
| afbeelding | https://www.nsgi.nl/iv-api/rdinfo/images/139/139529e.jpg |
| beheerinfo | n.v.t. |
| benaming | Molenkampweg 3 |
| blad | 139 |
| bladdeel | D |
| gid | |
| gps | 0 |
| honum | 11 |
| ingerekend | Ja |
| mutatie | 2 |
| punt | 529 |
| rekendossier | 911201 |
| uitgavejaarext | 2000 |
| uitgavevolgext | 3 |
| xrd | 271084 |
| yrd | 557936 |
| 4b6a02e8-d083-5bb7-ab4f-ef21f81730a7 | |
|---|---|
| afbeelding | https://www.nsgi.nl/iv-api/rdinfo/images/139/139530e.jpg |
| beheerinfo | n.v.t. |
| benaming | Blekslagerbrug Blekslage |
| blad | 139 |
| bladdeel | C |
| gid | |
| gps | 0 |
| honum | 12 |
| ingerekend | Ja |
| mutatie | 2 |
| punt | 530 |
| rekendossier | 911201 |
| uitgavejaarext | 2000 |
| uitgavevolgext | 3 |
| xrd | 268101 |
| yrd | 556513 |