RD info - Punten
Punten
Er zijn ongeveer 5600 RD-punten, onderverdeeld in RD-net, GNSS-kernnet, AGRS- en NETPOS-stations. Elk RD-punt bestaat uit meerdere Stations waarvan de coördinaten in RD en ETRS89 bekend zijn. De gehele publicatie, inclusief geschiedenis van het RD-punt, bestaat uit ruim 47000 stations (lees: records). Van de ongeveer 5600 RD-punten zijn er ongeveer 400, verspreid over Nederland liggende,…
| ac83da8e-f673-5450-af8a-b6cf10221539 | |
|---|---|
| afbeelding | https://www.nsgi.nl/iv-api/rdinfo/images/139/139328e.jpg |
| beheerinfo | n.v.t. |
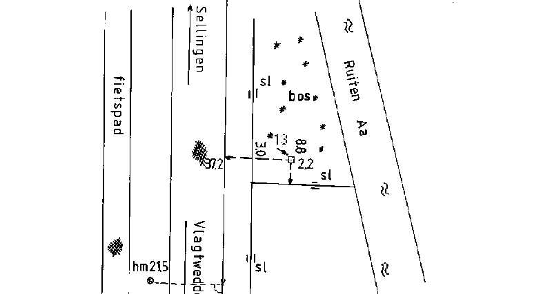
| benaming | Steen R.D. Spinberg |
| blad | 139 |
| bladdeel | D |
| gid | |
| gps | 0 |
| honum | 13 |
| ingerekend | Ja |
| mutatie | 2 |
| punt | 328 |
| rekendossier | 870107 |
| uitgavejaarext | 2000 |
| uitgavevolgext | 3 |
| xrd | 273246 |
| yrd | 556895 |
| df40bfbf-b3c8-5cf6-92e5-d5ca78518e9f | |
|---|---|
| afbeelding | https://www.nsgi.nl/iv-api/rdinfo/images/139/139329e.jpg |
| beheerinfo | n.v.t. |
| benaming | 'Ons Buurthoes' Harpel |
| blad | 139 |
| bladdeel | C |
| gid | |
| gps | 0 |
| honum | 12 |
| ingerekend | Ja |
| mutatie | 2 |
| punt | 329 |
| rekendossier | 870107 |
| uitgavejaarext | 2000 |
| uitgavevolgext | 3 |
| xrd | 269244 |
| yrd | 558412 |
| d7441613-35f0-574b-afe9-b824c66e5bf1 | |
|---|---|
| afbeelding | https://www.nsgi.nl/iv-api/rdinfo/images/139/139330e.jpg |
| beheerinfo | n.v.t. |
| benaming | Trafo Kibbelgaarn |
| blad | 139 |
| bladdeel | A |
| gid | |
| gps | 0 |
| honum | 12 |
| ingerekend | Ja |
| mutatie | 2 |
| punt | 330 |
| rekendossier | 880111 |
| uitgavejaarext | 2000 |
| uitgavevolgext | 3 |
| xrd | 260268 |
| yrd | 571284 |
| 5c0218de-35d1-5222-9e48-e72c25054980 | |
|---|---|
| afbeelding | https://www.nsgi.nl/iv-api/rdinfo/images/139/139331a.jpg https://www.nsgi.nl/iv-api/rdinfo/images/139/139331b.jpg https://www.nsgi.nl/iv-api/rdinfo/images/139/139331c.jpg https://www.nsgi.nl/iv-api/rdinfo/images/139/139331e.jpg |
| beheerinfo | n.v.t. |
| benaming | Steen R.D. Kempkebosweg |
| blad | 139 |
| bladdeel | A |
| gid | |
| gps | 1 |
| honum | 17 |
| ingerekend | Ja |
| mutatie | 2 |
| punt | 331 |
| rekendossier | 941101 |
| uitgavejaarext | 2023 |
| uitgavevolgext | 3 |
| xrd | 267866 |
| yrd | 565382 |
| 98d03a55-146b-52ae-b6bf-1c9d344e13bd | |
|---|---|
| afbeelding | https://www.nsgi.nl/iv-api/rdinfo/images/139/139333a.jpg https://www.nsgi.nl/iv-api/rdinfo/images/139/139333b.jpg https://www.nsgi.nl/iv-api/rdinfo/images/139/139333c.jpg https://www.nsgi.nl/iv-api/rdinfo/images/139/139333e.jpg |
| beheerinfo | n.v.t. |
| benaming | Steen R.D. Zaaiweg |
| blad | 139 |
| bladdeel | A |
| gid | |
| gps | 1 |
| honum | 15 |
| ingerekend | Ja |
| mutatie | 2 |
| punt | 333 |
| rekendossier | 941101 |
| uitgavejaarext | 2023 |
| uitgavevolgext | 3 |
| xrd | 262893 |
| yrd | 572856 |
| 86994acb-a6ca-5441-a1c4-bde5714595a4 | |
|---|---|
| afbeelding | https://www.nsgi.nl/iv-api/rdinfo/images/139/139334a.jpg https://www.nsgi.nl/iv-api/rdinfo/images/139/139334b.jpg https://www.nsgi.nl/iv-api/rdinfo/images/139/139334c.jpg https://www.nsgi.nl/iv-api/rdinfo/images/139/139334e.jpg |
| beheerinfo | n.v.t. |
| benaming | Stuw Kopstukken |
| blad | 139 |
| bladdeel | C |
| gid | |
| gps | 1 |
| honum | 17 |
| ingerekend | Ja |
| mutatie | 2 |
| punt | 334 |
| rekendossier | 920804 |
| uitgavejaarext | 2025 |
| uitgavevolgext | 4 |
| xrd | 267605 |
| yrd | 555073 |
| b01e036e-bf50-5192-9367-b7724387faf8 | |
|---|---|
| afbeelding | https://www.nsgi.nl/iv-api/rdinfo/images/139/139335a.jpg https://www.nsgi.nl/iv-api/rdinfo/images/139/139335b.jpg https://www.nsgi.nl/iv-api/rdinfo/images/139/139335c.jpg https://www.nsgi.nl/iv-api/rdinfo/images/139/139335e.jpg |
| beheerinfo | n.v.t. |
| benaming | Sluisje Inundatieweg |
| blad | 139 |
| bladdeel | D |
| gid | |
| gps | 1 |
| honum | 13 |
| ingerekend | Ja |
| mutatie | 2 |
| punt | 335 |
| rekendossier | 0 |
| uitgavejaarext | 2023 |
| uitgavevolgext | 3 |
| xrd | 276087 |
| yrd | 558828 |
| 9a1f970c-7ca3-5e6d-9577-b796b679d975 | |
|---|---|
| afbeelding | https://www.nsgi.nl/iv-api/rdinfo/images/139/139504e.jpg |
| beheerinfo | n.v.t. |
| benaming | Stöbkeweg 1 Holte |
| blad | 139 |
| bladdeel | A |
| gid | |
| gps | 0 |
| honum | 12 |
| ingerekend | Ja |
| mutatie | 2 |
| punt | 504 |
| rekendossier | 830119 |
| uitgavejaarext | 2000 |
| uitgavevolgext | 3 |
| xrd | 266421 |
| yrd | 564309 |
| 9835434b-b2ca-51d2-9bbd-4f23e59059a3 | |
|---|---|
| afbeelding | https://www.nsgi.nl/iv-api/rdinfo/images/139/139505e.jpg |
| beheerinfo | n.v.t. |
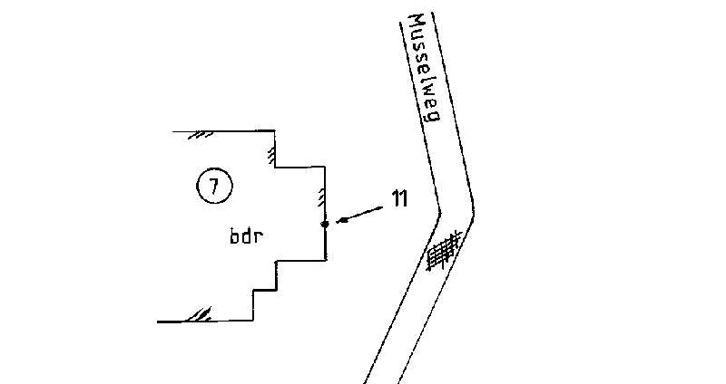
| benaming | Musselweg 115 Mussel |
| blad | 139 |
| bladdeel | C |
| gid | |
| gps | 0 |
| honum | 12 |
| ingerekend | Ja |
| mutatie | 2 |
| punt | 505 |
| rekendossier | 830119 |
| uitgavejaarext | 2000 |
| uitgavevolgext | 3 |
| xrd | 266318 |
| yrd | 555026 |
| e872bd99-c684-5cec-864b-f3db210e66c2 | |
|---|---|
| afbeelding | https://www.nsgi.nl/iv-api/rdinfo/images/139/139508e.jpg |
| beheerinfo | n.v.t. |
| benaming | Musselweg 7 Mussel |
| blad | 139 |
| bladdeel | C |
| gid | |
| gps | 0 |
| honum | 12 |
| ingerekend | Ja |
| mutatie | 2 |
| punt | 508 |
| rekendossier | 830119 |
| uitgavejaarext | 2000 |
| uitgavevolgext | 3 |
| xrd | 266655 |
| yrd | 557376 |