RD info - Punten
Punten
Er zijn ongeveer 5600 RD-punten, onderverdeeld in RD-net, GNSS-kernnet, AGRS- en NETPOS-stations. Elk RD-punt bestaat uit meerdere Stations waarvan de coördinaten in RD en ETRS89 bekend zijn. De gehele publicatie, inclusief geschiedenis van het RD-punt, bestaat uit ruim 47000 stations (lees: records). Van de ongeveer 5600 RD-punten zijn er ongeveer 400, verspreid over Nederland liggende,…
| 0e3668b0-9a67-5270-8490-df24a2cba3fd | |
|---|---|
| afbeelding | https://www.nsgi.nl/iv-api/rdinfo/images/179/179307e.jpg |
| beheerinfo | n.v.t. |
| benaming | Steen R.D. Heirweg Mantinge |
| blad | 179 |
| bladdeel | D |
| gid | |
| gps | 0 |
| honum | 13 |
| ingerekend | Ja |
| mutatie | 2 |
| punt | 307 |
| rekendossier | 860101 |
| uitgavejaarext | 2000 |
| uitgavevolgext | 3 |
| xrd | 238706 |
| yrd | 535552 |
| 03e17f7d-b341-5b03-89f0-49b84119fac5 | |
|---|---|
| afbeelding | https://www.nsgi.nl/iv-api/rdinfo/images/179/179308e.jpg |
| beheerinfo | n.v.t. |
| benaming | Steen R.D. N374 Eursinge |
| blad | 179 |
| bladdeel | B |
| gid | |
| gps | 0 |
| honum | 13 |
| ingerekend | Ja |
| mutatie | 2 |
| punt | 308 |
| rekendossier | 860101 |
| uitgavejaarext | 2000 |
| uitgavevolgext | 3 |
| xrd | 236764 |
| yrd | 538658 |
| 0f359dc4-c89c-5db5-bcab-ff831af4193f | |
|---|---|
| afbeelding | https://www.nsgi.nl/iv-api/rdinfo/images/179/179310e.jpg |
| beheerinfo | n.v.t. |
| benaming | Trafo Kanaal N.Z. Beilen |
| blad | 179 |
| bladdeel | B |
| gid | |
| gps | 0 |
| honum | 12 |
| ingerekend | Ja |
| mutatie | 2 |
| punt | 310 |
| rekendossier | 831111 |
| uitgavejaarext | 2005 |
| uitgavevolgext | 2 |
| xrd | 232137 |
| yrd | 545474 |
| d87bcfce-6c77-5971-874e-5acb1a827b8c | |
|---|---|
| afbeelding | https://www.nsgi.nl/iv-api/rdinfo/images/179/179311e.jpg |
| beheerinfo | n.v.t. |
| benaming | Speelstad Oranje |
| blad | 179 |
| bladdeel | A |
| gid | |
| gps | 0 |
| honum | 13 |
| ingerekend | Ja |
| mutatie | 2 |
| punt | 311 |
| rekendossier | 771114 |
| uitgavejaarext | 2002 |
| uitgavevolgext | 1 |
| xrd | 226342 |
| yrd | 547326 |
| ed5a4582-c066-5ff1-b8f1-78e935f36dd9 | |
|---|---|
| afbeelding | https://www.nsgi.nl/iv-api/rdinfo/images/179/179313e.jpg |
| beheerinfo | n.v.t. |
| benaming | T.V. toren Smilde |
| blad | 179 |
| bladdeel | A |
| gid | |
| gps | 0 |
| honum | 13 |
| ingerekend | Ja |
| mutatie | 2 |
| punt | 313 |
| rekendossier | 831114 |
| uitgavejaarext | 2016 |
| uitgavevolgext | 1 |
| xrd | 223382 |
| yrd | 546674 |
| c178324a-8a1a-54f4-8449-89ae0c78d0ad | |
|---|---|
| afbeelding | https://www.nsgi.nl/iv-api/rdinfo/images/179/179318e.jpg |
| beheerinfo | n.v.t. |
| benaming | Hijkerweg 3 Hooghalen |
| blad | 179 |
| bladdeel | B |
| gid | |
| gps | 0 |
| honum | 13 |
| ingerekend | Ja |
| mutatie | 2 |
| punt | 318 |
| rekendossier | 831111 |
| uitgavejaarext | 2000 |
| uitgavevolgext | 3 |
| xrd | 231763 |
| yrd | 548012 |
| 4b110c77-ab41-5452-b656-87195bf249f1 | |
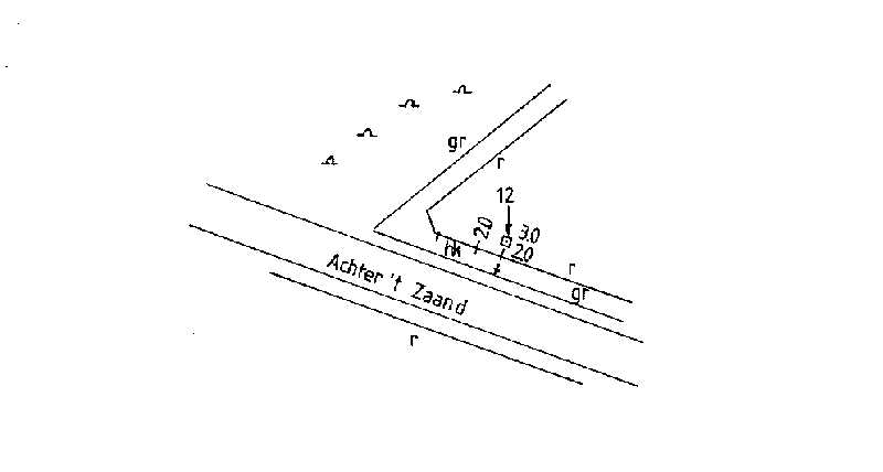
|---|---|
| afbeelding | https://www.nsgi.nl/iv-api/rdinfo/images/179/179319e.jpg |
| beheerinfo | n.v.t. |
| benaming | Steen R.D. Achter 't Zaand |
| blad | 179 |
| bladdeel | C |
| gid | |
| gps | 0 |
| honum | 13 |
| ingerekend | Ja |
| mutatie | 2 |
| punt | 319 |
| rekendossier | 851203 |
| uitgavejaarext | 2000 |
| uitgavevolgext | 3 |
| xrd | 224872 |
| yrd | 535241 |
| 6b89c4d0-5d8f-5425-acc9-f5906d539f8c | |
|---|---|
| afbeelding | https://www.nsgi.nl/iv-api/rdinfo/images/179/179320e.jpg |
| beheerinfo | n.v.t. |
| benaming | Steen R.D. Hoogeveenseweg |
| blad | 179 |
| bladdeel | D |
| gid | |
| gps | 0 |
| honum | 13 |
| ingerekend | Ja |
| mutatie | 2 |
| punt | 320 |
| rekendossier | 881205 |
| uitgavejaarext | 2000 |
| uitgavevolgext | 3 |
| xrd | 234313 |
| yrd | 530405 |
| d899a439-5661-5762-81cc-486c8d092b6b | |
|---|---|
| afbeelding | https://www.nsgi.nl/iv-api/rdinfo/images/179/179322e.jpg |
| beheerinfo | n.v.t. |
| benaming | Brug 4 Wijster |
| blad | 179 |
| bladdeel | D |
| gid | |
| gps | 0 |
| honum | 12 |
| ingerekend | Ja |
| mutatie | 2 |
| punt | 322 |
| rekendossier | 881205 |
| uitgavejaarext | 2003 |
| uitgavevolgext | 3 |
| xrd | 232787 |
| yrd | 537001 |
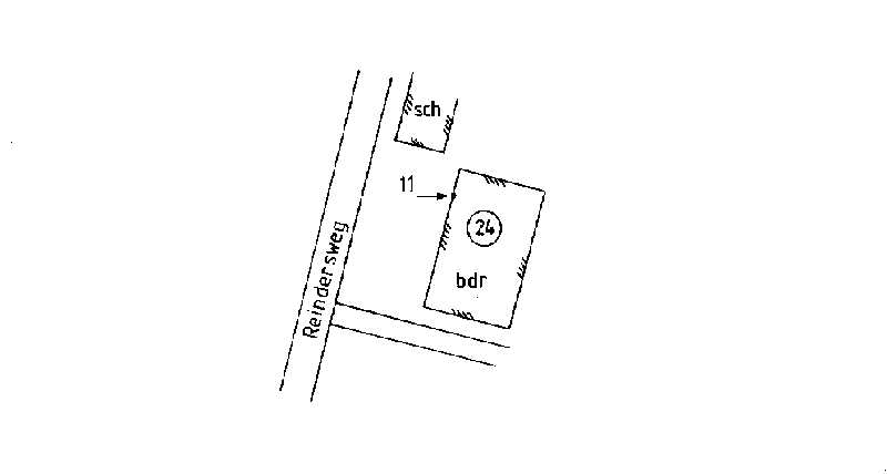
| fcb31f9d-b0be-57a2-9521-b00f912e1b48 | |
|---|---|
| afbeelding | https://www.nsgi.nl/iv-api/rdinfo/images/179/179323e.jpg |
| beheerinfo | n.v.t. |
| benaming | H. Reindersweg 24 Pesse |
| blad | 179 |
| bladdeel | C |
| gid | |
| gps | 0 |
| honum | 12 |
| ingerekend | Ja |
| mutatie | 2 |
| punt | 323 |
| rekendossier | 881205 |
| uitgavejaarext | 2000 |
| uitgavevolgext | 3 |
| xrd | 228453 |
| yrd | 534154 |