RD info - Punten
Punten
Er zijn ongeveer 5600 RD-punten, onderverdeeld in RD-net, GNSS-kernnet, AGRS- en NETPOS-stations. Elk RD-punt bestaat uit meerdere Stations waarvan de coördinaten in RD en ETRS89 bekend zijn. De gehele publicatie, inclusief geschiedenis van het RD-punt, bestaat uit ruim 47000 stations (lees: records). Van de ongeveer 5600 RD-punten zijn er ongeveer 400, verspreid over Nederland liggende,…
| a08f708d-0ebc-5447-8761-aa43eeb79ce0 | |
|---|---|
| afbeelding | https://www.nsgi.nl/iv-api/rdinfo/images/179/179515e.jpg |
| beheerinfo | n.v.t. |
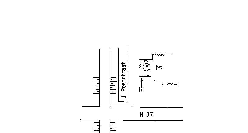
| benaming | Joh. Poststraat 5 Nieuwlande |
| blad | 179 |
| bladdeel | D |
| gid | |
| gps | 0 |
| honum | 11 |
| ingerekend | Ja |
| mutatie | 2 |
| punt | 515 |
| rekendossier | 870901 |
| uitgavejaarext | 2006 |
| uitgavevolgext | 1 |
| xrd | 237705 |
| yrd | 525761 |
| f68e5b94-698c-51af-bb3d-86181c209857 | |
|---|---|
| afbeelding | https://www.nsgi.nl/iv-api/rdinfo/images/179/179516e.jpg |
| beheerinfo | n.v.t. |
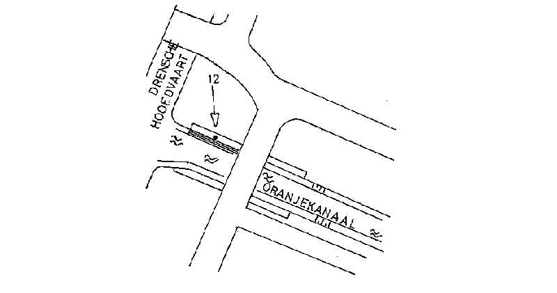
| benaming | Verl. Hoogev. Vaart 144 Geesbrug |
| blad | 179 |
| bladdeel | D |
| gid | |
| gps | 0 |
| honum | 12 |
| ingerekend | Ja |
| mutatie | 2 |
| punt | 516 |
| rekendossier | 870901 |
| uitgavejaarext | 2000 |
| uitgavevolgext | 3 |
| xrd | 237528 |
| yrd | 527219 |
| cf41768b-c85d-54b4-afa4-800c18dc81da | |
|---|---|
| afbeelding | |
| beheerinfo | n.v.t. |
| benaming | Brug Zwindersche kanaal Geesbrug |
| blad | 179 |
| bladdeel | |
| gid | |
| gps | 0 |
| honum | 11 |
| ingerekend | Ja |
| mutatie | 2 |
| punt | 517 |
| rekendossier | 870901 |
| uitgavejaarext | |
| uitgavevolgext | |
| xrd | 239503 |
| yrd | 527532 |
| 2ac20b7d-349d-5832-825a-6685f3ee028d | |
|---|---|
| afbeelding | https://www.nsgi.nl/iv-api/rdinfo/images/179/179519e.jpg |
| beheerinfo | n.v.t. |
| benaming | Stuw Ruiner Aa Ruinen |
| blad | 179 |
| bladdeel | C |
| gid | |
| gps | 0 |
| honum | 11 |
| ingerekend | Ja |
| mutatie | 2 |
| punt | 519 |
| rekendossier | 870401 |
| uitgavejaarext | 2003 |
| uitgavevolgext | 3 |
| xrd | 220610 |
| yrd | 529620 |
| 17315a31-de02-5944-98fd-818020b4b069 | |
|---|---|
| afbeelding | https://www.nsgi.nl/iv-api/rdinfo/images/179/179520e.jpg |
| beheerinfo | n.v.t. |
| benaming | Echtenseweg 27 Ruinen |
| blad | 179 |
| bladdeel | C |
| gid | |
| gps | 0 |
| honum | 11 |
| ingerekend | Ja |
| mutatie | 2 |
| punt | 520 |
| rekendossier | 870401 |
| uitgavejaarext | 2000 |
| uitgavevolgext | 3 |
| xrd | 222169 |
| yrd | 528338 |
| e5dc6771-ede2-5e15-8e3b-7324beb8fde7 | |
|---|---|
| afbeelding | https://www.nsgi.nl/iv-api/rdinfo/images/179/179521e.jpg |
| beheerinfo | n.v.t. |
| benaming | Pesserveldweg 1 Pesse |
| blad | 179 |
| bladdeel | C |
| gid | |
| gps | 0 |
| honum | 12 |
| ingerekend | Ja |
| mutatie | 2 |
| punt | 521 |
| rekendossier | 870401 |
| uitgavejaarext | 2003 |
| uitgavevolgext | 3 |
| xrd | 225681 |
| yrd | 530418 |
| ec7eeee6-ca78-522d-9e42-954d06c47d46 | |
|---|---|
| afbeelding | https://www.nsgi.nl/iv-api/rdinfo/images/179/179525e.jpg |
| beheerinfo | n.v.t. |
| benaming | Trafo Stuifzandseweg Hoogeveen |
| blad | 179 |
| bladdeel | C |
| gid | |
| gps | 0 |
| honum | 12 |
| ingerekend | Ja |
| mutatie | 2 |
| punt | 525 |
| rekendossier | 870902 |
| uitgavejaarext | 2005 |
| uitgavevolgext | 2 |
| xrd | 229798 |
| yrd | 528973 |
| 9068458c-1352-567f-9b4f-a60a26bba3be | |
|---|---|
| afbeelding | https://www.nsgi.nl/iv-api/rdinfo/images/179/179526e.jpg |
| beheerinfo | n.v.t. |
| benaming | Molenweg 55 Noordscheschut |
| blad | 179 |
| bladdeel | D |
| gid | |
| gps | 0 |
| honum | 12 |
| ingerekend | Ja |
| mutatie | 2 |
| punt | 526 |
| rekendossier | 870902 |
| uitgavejaarext | 2000 |
| uitgavevolgext | 3 |
| xrd | 232595 |
| yrd | 527354 |
| fb38585e-8c7f-5e59-ae9b-548d9685a32e | |
|---|---|
| afbeelding | https://www.nsgi.nl/iv-api/rdinfo/images/179/179528e.jpg |
| beheerinfo | n.v.t. |
| benaming | Brug Oranjekanaal |
| blad | 179 |
| bladdeel | A |
| gid | |
| gps | 0 |
| honum | 12 |
| ingerekend | Ja |
| mutatie | 2 |
| punt | 528 |
| rekendossier | 880106 |
| uitgavejaarext | 2002 |
| uitgavevolgext | 1 |
| xrd | 223753 |
| yrd | 548129 |
| 71dfec42-ffa6-5a2f-97d7-a1e7be05388a | |
|---|---|
| afbeelding | https://www.nsgi.nl/iv-api/rdinfo/images/179/179529e.jpg |
| beheerinfo | n.v.t. |
| benaming | Duiker Twee Provincienweg |
| blad | 179 |
| bladdeel | A |
| gid | |
| gps | 0 |
| honum | 12 |
| ingerekend | Ja |
| mutatie | 2 |
| punt | 529 |
| rekendossier | 880106 |
| uitgavejaarext | 2002 |
| uitgavevolgext | 1 |
| xrd | 221044 |
| yrd | 548785 |