RD info - Punten
Punten
Er zijn ongeveer 5600 RD-punten, onderverdeeld in RD-net, GNSS-kernnet, AGRS- en NETPOS-stations. Elk RD-punt bestaat uit meerdere Stations waarvan de coördinaten in RD en ETRS89 bekend zijn. De gehele publicatie, inclusief geschiedenis van het RD-punt, bestaat uit ruim 47000 stations (lees: records). Van de ongeveer 5600 RD-punten zijn er ongeveer 400, verspreid over Nederland liggende,…
| a7bc773e-d21b-5588-967d-beff42c82efb | |
|---|---|
| afbeelding | https://www.nsgi.nl/iv-api/rdinfo/images/559/559312a.jpg https://www.nsgi.nl/iv-api/rdinfo/images/559/559312b.jpg https://www.nsgi.nl/iv-api/rdinfo/images/559/559312c.jpg https://www.nsgi.nl/iv-api/rdinfo/images/559/559312e.jpg |
| beheerinfo | n.v.t. |
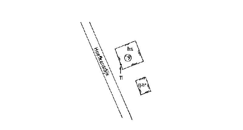
| benaming | Steen R.D. Havendijk |
| blad | 559 |
| bladdeel | A |
| gid | |
| gps | 1 |
| honum | 16 |
| ingerekend | Ja |
| mutatie | 2 |
| punt | 312 |
| rekendossier | 960404 |
| uitgavejaarext | 2012 |
| uitgavevolgext | 3 |
| xrd | 60038 |
| yrd | 370284 |
| 49fdae93-81ee-5526-9238-52e702230124 | |
|---|---|
| afbeelding | https://www.nsgi.nl/iv-api/rdinfo/images/559/559313a.jpg https://www.nsgi.nl/iv-api/rdinfo/images/559/559313b.jpg https://www.nsgi.nl/iv-api/rdinfo/images/559/559313c.jpg https://www.nsgi.nl/iv-api/rdinfo/images/559/559313e.jpg |
| beheerinfo | n.v.t. |
| benaming | Waterdoorlaat Lingestraat |
| blad | 559 |
| bladdeel | B |
| gid | |
| gps | 0 |
| honum | 13 |
| ingerekend | Ja |
| mutatie | 2 |
| punt | 313 |
| rekendossier | 0 |
| uitgavejaarext | 2012 |
| uitgavevolgext | 3 |
| xrd | 74175 |
| yrd | 374060 |
| a4da41e0-d0d1-5465-936d-54f945ba1c43 | |
|---|---|
| afbeelding | https://www.nsgi.nl/iv-api/rdinfo/images/559/559314a.jpg https://www.nsgi.nl/iv-api/rdinfo/images/559/559314b.jpg https://www.nsgi.nl/iv-api/rdinfo/images/559/559314c.jpg https://www.nsgi.nl/iv-api/rdinfo/images/559/559314e.jpg |
| beheerinfo | n.v.t. |
| benaming | Zorgdijk 9 Prosperpolder |
| blad | 559 |
| bladdeel | B |
| gid | |
| gps | 1 |
| honum | 13 |
| ingerekend | Ja |
| mutatie | 2 |
| punt | 314 |
| rekendossier | 0 |
| uitgavejaarext | 2012 |
| uitgavevolgext | 3 |
| xrd | 71420 |
| yrd | 371716 |
| fb27151c-bc48-5fd3-8814-acea11d500be | |
|---|---|
| afbeelding | https://www.nsgi.nl/iv-api/rdinfo/images/559/559503e.jpg |
| beheerinfo | n.v.t. |
| benaming | Mispad 7 Hontenisse |
| blad | 559 |
| bladdeel | A |
| gid | |
| gps | 0 |
| honum | 11 |
| ingerekend | Ja |
| mutatie | 2 |
| punt | 503 |
| rekendossier | 870303 |
| uitgavejaarext | 2000 |
| uitgavevolgext | 3 |
| xrd | 62702 |
| yrd | 371468 |
| 7bc9dc4b-190e-53b0-aa68-b163ac2893f8 | |
|---|---|
| afbeelding | https://www.nsgi.nl/iv-api/rdinfo/images/559/559504e.jpg |
| beheerinfo | n.v.t. |
| benaming | Langendamsedijk 4 Hulst |
| blad | 559 |
| bladdeel | A |
| gid | |
| gps | 0 |
| honum | 11 |
| ingerekend | Ja |
| mutatie | 2 |
| punt | 504 |
| rekendossier | 870303 |
| uitgavejaarext | 2000 |
| uitgavevolgext | 3 |
| xrd | 64053 |
| yrd | 369896 |
| 3cc8e910-b8c9-5b7a-b0f1-b8fd9d827029 | |
|---|---|
| afbeelding | https://www.nsgi.nl/iv-api/rdinfo/images/559/559506a.jpg https://www.nsgi.nl/iv-api/rdinfo/images/559/559506b.jpg https://www.nsgi.nl/iv-api/rdinfo/images/559/559506c.jpg https://www.nsgi.nl/iv-api/rdinfo/images/559/559506e.jpg |
| beheerinfo | n.v.t. |
| benaming | Steen R.D. Paalseweg Paal |
| blad | 559 |
| bladdeel | A |
| gid | |
| gps | 1 |
| honum | 16 |
| ingerekend | Ja |
| mutatie | 2 |
| punt | 506 |
| rekendossier | 870303 |
| uitgavejaarext | 2012 |
| uitgavevolgext | 3 |
| xrd | 65975 |
| yrd | 374358 |
| 14529012-ad14-52a4-a679-5deb5299b370 | |
|---|---|
| afbeelding | https://www.nsgi.nl/iv-api/rdinfo/images/559/559507e.jpg |
| beheerinfo | n.v.t. |
| benaming | Hoefkensdijk 19 Lamswaarde |
| blad | 559 |
| bladdeel | A |
| gid | |
| gps | 0 |
| honum | 11 |
| ingerekend | Ja |
| mutatie | 2 |
| punt | 507 |
| rekendossier | 870303 |
| uitgavejaarext | 2000 |
| uitgavevolgext | 3 |
| xrd | 61439 |
| yrd | 372416 |
| 3b76d3be-86fb-567c-ba2c-876b10ba2b3d | |
|---|---|
| afbeelding | https://www.nsgi.nl/iv-api/rdinfo/images/559/559508e.jpg |
| beheerinfo | n.v.t. |
| benaming | Meerdijk 4 Kuitaart |
| blad | 559 |
| bladdeel | A |
| gid | |
| gps | 0 |
| honum | 11 |
| ingerekend | Ja |
| mutatie | 2 |
| punt | 508 |
| rekendossier | 870303 |
| uitgavejaarext | 2000 |
| uitgavevolgext | 3 |
| xrd | 60103 |
| yrd | 371876 |
| 6b66acce-6abf-5cbf-a247-127b9bc1ae4a | |
|---|---|
| afbeelding | |
| beheerinfo | n.v.t. |
| benaming | O.L.V. Bas. Scherpenheuvel (B.). |
| blad | 560 |
| bladdeel | C |
| gid | |
| gps | 0 |
| honum | 19 |
| ingerekend | Ja |
| mutatie | 2 |
| punt | 101 |
| rekendossier | 0 |
| uitgavejaarext | |
| uitgavevolgext | |
| xrd | 126270 |
| yrd | 332361 |
| 492a557f-e729-5193-bb48-5f9f1d50ddfd | |
|---|---|
| afbeelding | |
| beheerinfo | n.v.t. |
| benaming | Kerktoren Herentals (B.). |
| blad | 560 |
| bladdeel | C |
| gid | |
| gps | 0 |
| honum | 17 |
| ingerekend | Ja |
| mutatie | 2 |
| punt | 102 |
| rekendossier | 0 |
| uitgavejaarext | |
| uitgavevolgext | |
| xrd | 116434 |
| yrd | 354049 |