RD info - Punten
Punten
Er zijn ongeveer 5600 RD-punten, onderverdeeld in RD-net, GNSS-kernnet, AGRS- en NETPOS-stations. Elk RD-punt bestaat uit meerdere Stations waarvan de coördinaten in RD en ETRS89 bekend zijn. De gehele publicatie, inclusief geschiedenis van het RD-punt, bestaat uit ruim 47000 stations (lees: records). Van de ongeveer 5600 RD-punten zijn er ongeveer 400, verspreid over Nederland liggende,…
| 5c87c1a6-4f23-5847-9919-0c8dfb7f60af | |
|---|---|
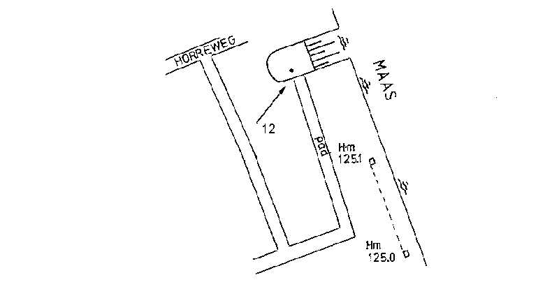
| afbeelding | https://www.nsgi.nl/iv-api/rdinfo/images/520/520519e.jpg |
| beheerinfo | n.v.t. |
| benaming | Km paal 125.0 Maasoever Ooijen |
| blad | 520 |
| bladdeel | A |
| gid | |
| gps | 0 |
| honum | 12 |
| ingerekend | Ja |
| mutatie | 2 |
| punt | 519 |
| rekendossier | 901102 |
| uitgavejaarext | 2001 |
| uitgavevolgext | 1 |
| xrd | 208783 |
| yrd | 391553 |
| 57646733-ff02-5aa3-86fe-5997f2bd47c3 | |
|---|---|
| afbeelding | https://www.nsgi.nl/iv-api/rdinfo/images/520/520521e.jpg |
| beheerinfo | n.v.t. |
| benaming | Provincialeweg 114 Horst |
| blad | 520 |
| bladdeel | C |
| gid | |
| gps | 0 |
| honum | 12 |
| ingerekend | Ja |
| mutatie | 2 |
| punt | 521 |
| rekendossier | 901102 |
| uitgavejaarext | 2001 |
| uitgavevolgext | 1 |
| xrd | 203555 |
| yrd | 383353 |
| 9dfc1af9-e351-549d-889f-17dbe03fc473 | |
|---|---|
| afbeelding | https://www.nsgi.nl/iv-api/rdinfo/images/520/520522e.jpg |
| beheerinfo | n.v.t. |
| benaming | Venrayseweg 336 Venlo |
| blad | 520 |
| bladdeel | C |
| gid | |
| gps | 0 |
| honum | 12 |
| ingerekend | Ja |
| mutatie | 2 |
| punt | 522 |
| rekendossier | 901102 |
| uitgavejaarext | 2006 |
| uitgavevolgext | 1 |
| xrd | 205728 |
| yrd | 380770 |
| 5a0ee875-9a24-5ed5-b824-b582a82ec5ee | |
|---|---|
| afbeelding | https://www.nsgi.nl/iv-api/rdinfo/images/520/520523e.jpg |
| beheerinfo | n.v.t. |
| benaming | Raadhuis Arcen |
| blad | 520 |
| bladdeel | B |
| gid | |
| gps | 0 |
| honum | 12 |
| ingerekend | Ja |
| mutatie | 2 |
| punt | 523 |
| rekendossier | 901102 |
| uitgavejaarext | 2000 |
| uitgavevolgext | 3 |
| xrd | 210058 |
| yrd | 387550 |
| 7d70850f-6a3e-5104-9db2-8f7bb252da11 | |
|---|---|
| afbeelding | https://www.nsgi.nl/iv-api/rdinfo/images/520/520525e.jpg |
| beheerinfo | n.v.t. |
| benaming | Grenskantoor Weselseweg 131 |
| blad | 520 |
| bladdeel | D |
| gid | |
| gps | 0 |
| honum | 12 |
| ingerekend | Ja |
| mutatie | 2 |
| punt | 525 |
| rekendossier | 890101 |
| uitgavejaarext | 2000 |
| uitgavevolgext | 3 |
| xrd | 212279 |
| yrd | 379339 |
| 9d0e2201-5719-5199-8f8c-38e655092b2c | |
|---|---|
| afbeelding | https://www.nsgi.nl/iv-api/rdinfo/images/520/520529e.jpg |
| beheerinfo | n.v.t. |
| benaming | Trafo Sevenumseweg Sevenum |
| blad | 520 |
| bladdeel | C |
| gid | |
| gps | 0 |
| honum | 12 |
| ingerekend | Ja |
| mutatie | 2 |
| punt | 529 |
| rekendossier | 901102 |
| uitgavejaarext | 2001 |
| uitgavevolgext | 1 |
| xrd | 201835 |
| yrd | 381127 |
| 5bb214d4-a89f-5ae2-bb35-4c8c115f1ed9 | |
|---|---|
| afbeelding | https://www.nsgi.nl/iv-api/rdinfo/images/520/520530e.jpg |
| beheerinfo | n.v.t. |
| benaming | R.K. Kapel Heierhoeve |
| blad | 520 |
| bladdeel | C |
| gid | |
| gps | 0 |
| honum | 12 |
| ingerekend | Ja |
| mutatie | 2 |
| punt | 530 |
| rekendossier | 901102 |
| uitgavejaarext | 2001 |
| uitgavevolgext | 1 |
| xrd | 203620 |
| yrd | 379843 |
| 6ce1321f-5189-5619-a7e9-9c2e6d36f7e0 | |
|---|---|
| afbeelding | https://www.nsgi.nl/iv-api/rdinfo/images/529/529101e.jpg |
| beheerinfo | n.v.t. |
| benaming | R.K.K. Venray |
| blad | 529 |
| bladdeel | B |
| gid | |
| gps | 0 |
| honum | 20 |
| ingerekend | Ja |
| mutatie | 2 |
| punt | 101 |
| rekendossier | 0 |
| uitgavejaarext | 2000 |
| uitgavevolgext | 3 |
| xrd | 195820 |
| yrd | 393349 |
| d256b199-b1a4-529e-af29-6a3ea34a2204 | |
|---|---|
| afbeelding | https://www.nsgi.nl/iv-api/rdinfo/images/529/529201e.jpg |
| beheerinfo | n.v.t. |
| benaming | Gevangenis Ter Peel |
| blad | 529 |
| bladdeel | D |
| gid | |
| gps | 0 |
| honum | 12 |
| ingerekend | Ja |
| mutatie | 2 |
| punt | 201 |
| rekendossier | 680001 |
| uitgavejaarext | 2001 |
| uitgavevolgext | 2 |
| xrd | 194832 |
| yrd | 379824 |
| d133f5fa-3965-5e1a-a235-d6f22ba5c1af | |
|---|---|
| afbeelding | https://www.nsgi.nl/iv-api/rdinfo/images/529/529202e.jpg |
| beheerinfo | n.v.t. |
| benaming | R.K.K. Liessel |
| blad | 529 |
| bladdeel | C |
| gid | |
| gps | 0 |
| honum | 15 |
| ingerekend | Ja |
| mutatie | 2 |
| punt | 202 |
| rekendossier | 680001 |
| uitgavejaarext | 2000 |
| uitgavevolgext | 3 |
| xrd | 185173 |
| yrd | 380663 |