RD info - Punten
Punten
Er zijn ongeveer 5600 RD-punten, onderverdeeld in RD-net, GNSS-kernnet, AGRS- en NETPOS-stations. Elk RD-punt bestaat uit meerdere Stations waarvan de coördinaten in RD en ETRS89 bekend zijn. De gehele publicatie, inclusief geschiedenis van het RD-punt, bestaat uit ruim 47000 stations (lees: records). Van de ongeveer 5600 RD-punten zijn er ongeveer 400, verspreid over Nederland liggende,…
| dd0974a2-540a-51a1-94c5-0fa6bbcea815 | |
|---|---|
| afbeelding | https://www.nsgi.nl/iv-api/rdinfo/images/540/540519e.jpg |
| beheerinfo | n.v.t. |
| benaming | Savoyaardweg 1 Hoek |
| blad | 540 |
| bladdeel | A |
| gid | |
| gps | 0 |
| honum | 12 |
| ingerekend | Ja |
| mutatie | 2 |
| punt | 519 |
| rekendossier | 880109 |
| uitgavejaarext | 2000 |
| uitgavevolgext | 3 |
| xrd | 41352 |
| yrd | 373160 |
| 5d06343b-dd85-5c64-8801-9b56df361733 | |
|---|---|
| afbeelding | https://www.nsgi.nl/iv-api/rdinfo/images/540/540521e.jpg |
| beheerinfo | n.v.t. |
| benaming | Nieuwe Neuzenweg 1 Hoek |
| blad | 540 |
| bladdeel | A |
| gid | |
| gps | 0 |
| honum | 11 |
| ingerekend | Ja |
| mutatie | 2 |
| punt | 521 |
| rekendossier | 880109 |
| uitgavejaarext | 2000 |
| uitgavevolgext | 3 |
| xrd | 44685 |
| yrd | 373857 |
| 627346fe-f79b-5204-ac12-3c9342af16d7 | |
|---|---|
| afbeelding | https://www.nsgi.nl/iv-api/rdinfo/images/540/540523e.jpg |
| beheerinfo | n.v.t. |
| benaming | Hoekseweg 3 Hoek |
| blad | 540 |
| bladdeel | A |
| gid | |
| gps | 0 |
| honum | 11 |
| ingerekend | Ja |
| mutatie | 2 |
| punt | 523 |
| rekendossier | 880109 |
| uitgavejaarext | 2000 |
| uitgavevolgext | 3 |
| xrd | 44382 |
| yrd | 371015 |
| e178de52-5b0a-5a51-a921-01888e9350d6 | |
|---|---|
| afbeelding | https://www.nsgi.nl/iv-api/rdinfo/images/540/540524e.jpg |
| beheerinfo | n.v.t. |
| benaming | Kreekweg 1 Hoek |
| blad | 540 |
| bladdeel | A |
| gid | |
| gps | 0 |
| honum | 11 |
| ingerekend | Ja |
| mutatie | 2 |
| punt | 524 |
| rekendossier | 880109 |
| uitgavejaarext | 2000 |
| uitgavevolgext | 3 |
| xrd | 40873 |
| yrd | 370615 |
| eb56f1d6-5c65-5653-bdce-01e3cf1cafa6 | |
|---|---|
| afbeelding | https://www.nsgi.nl/iv-api/rdinfo/images/540/540526e.jpg |
| beheerinfo | n.v.t. |
| benaming | Zevenaardijk 4 Hoek |
| blad | 540 |
| bladdeel | A |
| gid | |
| gps | 0 |
| honum | 11 |
| ingerekend | Ja |
| mutatie | 2 |
| punt | 526 |
| rekendossier | 880109 |
| uitgavejaarext | 2000 |
| uitgavevolgext | 3 |
| xrd | 44760 |
| yrd | 369009 |
| 5505e738-e451-5a3e-8047-d5fd0485cf0e | |
|---|---|
| afbeelding | https://www.nsgi.nl/iv-api/rdinfo/images/540/540527e.jpg |
| beheerinfo | n.v.t. |
| benaming | Visartpolderdijk 1 Sluiskil |
| blad | 540 |
| bladdeel | A |
| gid | |
| gps | 0 |
| honum | 11 |
| ingerekend | Ja |
| mutatie | 2 |
| punt | 527 |
| rekendossier | 880109 |
| uitgavejaarext | 2000 |
| uitgavevolgext | 3 |
| xrd | 44086 |
| yrd | 367753 |
| 55fcb002-a8bd-599f-b9ce-59e0a4496e38 | |
|---|---|
| afbeelding | https://www.nsgi.nl/iv-api/rdinfo/images/540/540528e.jpg |
| beheerinfo | n.v.t. |
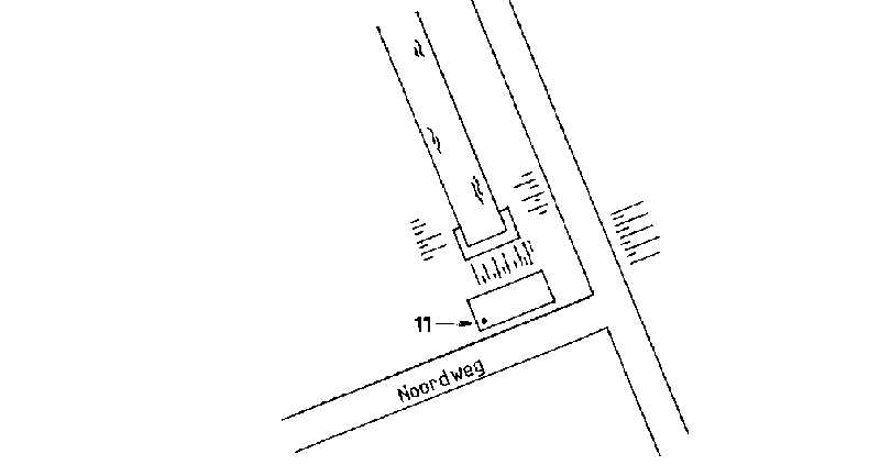
| benaming | Duiker Noordweg |
| blad | 540 |
| bladdeel | A |
| gid | |
| gps | 0 |
| honum | 11 |
| ingerekend | Ja |
| mutatie | 2 |
| punt | 528 |
| rekendossier | 880109 |
| uitgavejaarext | 2000 |
| uitgavevolgext | 3 |
| xrd | 46492 |
| yrd | 369041 |
| 2d81a5eb-24c9-5515-9236-eb763470c392 | |
|---|---|
| afbeelding | https://www.nsgi.nl/iv-api/rdinfo/images/540/540531e.jpg |
| beheerinfo | n.v.t. |
| benaming | Oude Molenstr 26 Assenede (B.) |
| blad | 540 |
| bladdeel | A |
| gid | |
| gps | 0 |
| honum | 12 |
| ingerekend | Ja |
| mutatie | 2 |
| punt | 531 |
| rekendossier | 880109 |
| uitgavejaarext | 2000 |
| uitgavevolgext | 3 |
| xrd | 43440 |
| yrd | 363053 |
| a00f4639-9273-573f-8bce-dabb57dbab22 | |
|---|---|
| afbeelding | https://www.nsgi.nl/iv-api/rdinfo/images/540/540532e.jpg |
| beheerinfo | n.v.t. |
| benaming | Graaf Jansdijk 62 Axel |
| blad | 540 |
| bladdeel | A |
| gid | |
| gps | 0 |
| honum | 11 |
| ingerekend | Ja |
| mutatie | 2 |
| punt | 532 |
| rekendossier | 880109 |
| uitgavejaarext | 2000 |
| uitgavevolgext | 3 |
| xrd | 49688 |
| yrd | 367094 |
| 3ed2b774-5102-50ed-997f-dbfd2e75f9d3 | |
|---|---|
| afbeelding | https://www.nsgi.nl/iv-api/rdinfo/images/540/540533e.jpg |
| beheerinfo | n.v.t. |
| benaming | Spui 28 Axel |
| blad | 540 |
| bladdeel | A |
| gid | |
| gps | 0 |
| honum | 11 |
| ingerekend | Ja |
| mutatie | 2 |
| punt | 533 |
| rekendossier | 880109 |
| uitgavejaarext | 2000 |
| uitgavevolgext | 3 |
| xrd | 49855 |
| yrd | 368712 |