RD info - Punten
Punten
Er zijn ongeveer 5600 RD-punten, onderverdeeld in RD-net, GNSS-kernnet, AGRS- en NETPOS-stations. Elk RD-punt bestaat uit meerdere Stations waarvan de coördinaten in RD en ETRS89 bekend zijn. De gehele publicatie, inclusief geschiedenis van het RD-punt, bestaat uit ruim 47000 stations (lees: records). Van de ongeveer 5600 RD-punten zijn er ongeveer 400, verspreid over Nederland liggende,…
| d25c4b83-4843-512f-8aef-b4182102f238 | |
|---|---|
| afbeelding | https://www.nsgi.nl/iv-api/rdinfo/images/540/540534e.jpg |
| beheerinfo | n.v.t. |
| benaming | Axelsestraat 169 Zaamslag |
| blad | 540 |
| bladdeel | B |
| gid | |
| gps | 0 |
| honum | 11 |
| ingerekend | Ja |
| mutatie | 2 |
| punt | 534 |
| rekendossier | 880109 |
| uitgavejaarext | 2000 |
| uitgavevolgext | 3 |
| xrd | 52171 |
| yrd | 368874 |
| 5b84f769-5851-500b-9c04-f2c18a43c5a2 | |
|---|---|
| afbeelding | https://www.nsgi.nl/iv-api/rdinfo/images/540/540535e.jpg |
| beheerinfo | n.v.t. |
| benaming | Terneuzensestraat 64 Zaamslag |
| blad | 540 |
| bladdeel | B |
| gid | |
| gps | 0 |
| honum | 11 |
| ingerekend | Ja |
| mutatie | 2 |
| punt | 535 |
| rekendossier | 880109 |
| uitgavejaarext | 2000 |
| uitgavevolgext | 3 |
| xrd | 50426 |
| yrd | 370439 |
| 57de302c-0631-57df-a71f-0e91144ed729 | |
|---|---|
| afbeelding | https://www.nsgi.nl/iv-api/rdinfo/images/540/540536e.jpg |
| beheerinfo | n.v.t. |
| benaming | Reuzenhoeksedijk Terneuzen |
| blad | 540 |
| bladdeel | A |
| gid | |
| gps | 0 |
| honum | 11 |
| ingerekend | Ja |
| mutatie | 2 |
| punt | 536 |
| rekendossier | 880109 |
| uitgavejaarext | 2000 |
| uitgavevolgext | 3 |
| xrd | 49849 |
| yrd | 372168 |
| 4ce8718f-c099-5b17-849e-fb283075a5c1 | |
|---|---|
| afbeelding | https://www.nsgi.nl/iv-api/rdinfo/images/540/540539e.jpg |
| beheerinfo | n.v.t. |
| benaming | Noorwegenweg 1 Terneuzen |
| blad | 540 |
| bladdeel | A |
| gid | |
| gps | 0 |
| honum | 11 |
| ingerekend | Ja |
| mutatie | 2 |
| punt | 539 |
| rekendossier | 880109 |
| uitgavejaarext | 2000 |
| uitgavevolgext | 3 |
| xrd | 47187 |
| yrd | 370235 |
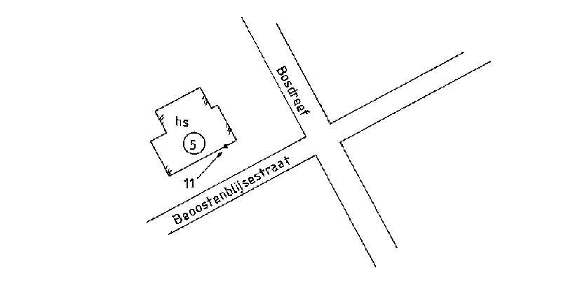
| 50d92d90-4580-5d9a-af32-2fd689d43692 | |
|---|---|
| afbeelding | https://www.nsgi.nl/iv-api/rdinfo/images/540/540541e.jpg |
| beheerinfo | n.v.t. |
| benaming | Beoostenblijsestraat 5 Axel |
| blad | 540 |
| bladdeel | B |
| gid | |
| gps | 0 |
| honum | 11 |
| ingerekend | Ja |
| mutatie | 2 |
| punt | 541 |
| rekendossier | 870303 |
| uitgavejaarext | 2000 |
| uitgavevolgext | 3 |
| xrd | 53917 |
| yrd | 366982 |
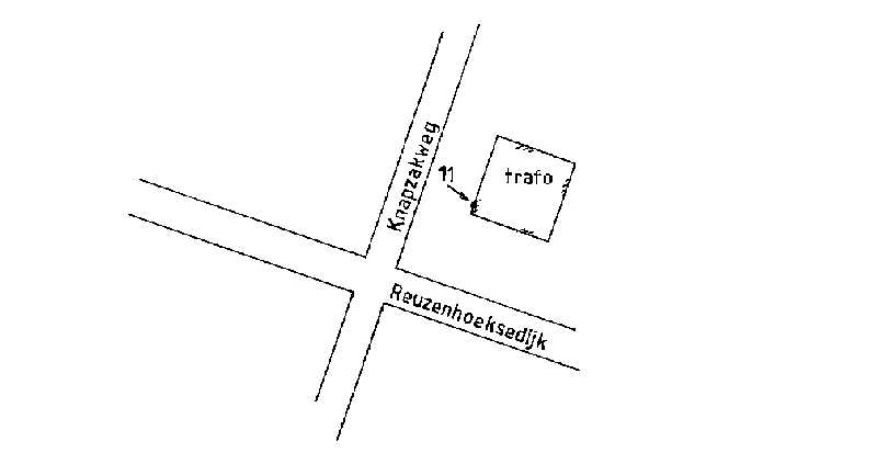
| 03be7f35-cf38-5b79-80e6-29c6d0fc8c4d | |
|---|---|
| afbeelding | https://www.nsgi.nl/iv-api/rdinfo/images/540/540542e.jpg |
| beheerinfo | n.v.t. |
| benaming | Duiker Pouckedijk Axel |
| blad | 540 |
| bladdeel | B |
| gid | |
| gps | 0 |
| honum | 11 |
| ingerekend | Ja |
| mutatie | 2 |
| punt | 542 |
| rekendossier | 870303 |
| uitgavejaarext | 2000 |
| uitgavevolgext | 3 |
| xrd | 54226 |
| yrd | 368793 |
| 5acb70fe-a2eb-5f81-becf-3de291d06643 | |
|---|---|
| afbeelding | https://www.nsgi.nl/iv-api/rdinfo/images/540/540543e.jpg |
| beheerinfo | n.v.t. |
| benaming | Veerweg 7 Zaamslag |
| blad | 540 |
| bladdeel | B |
| gid | |
| gps | 0 |
| honum | 11 |
| ingerekend | Ja |
| mutatie | 2 |
| punt | 543 |
| rekendossier | 870303 |
| uitgavejaarext | 2000 |
| uitgavevolgext | 3 |
| xrd | 54253 |
| yrd | 370197 |
| 1221d7f3-8365-5752-a3fe-3dac1e15798d | |
|---|---|
| afbeelding | https://www.nsgi.nl/iv-api/rdinfo/images/540/540544e.jpg |
| beheerinfo | n.v.t. |
| benaming | Campenseweg 20 Terneuzen |
| blad | 540 |
| bladdeel | B |
| gid | |
| gps | 0 |
| honum | 11 |
| ingerekend | Ja |
| mutatie | 2 |
| punt | 544 |
| rekendossier | 870303 |
| uitgavejaarext | 2000 |
| uitgavevolgext | 3 |
| xrd | 55644 |
| yrd | 372980 |
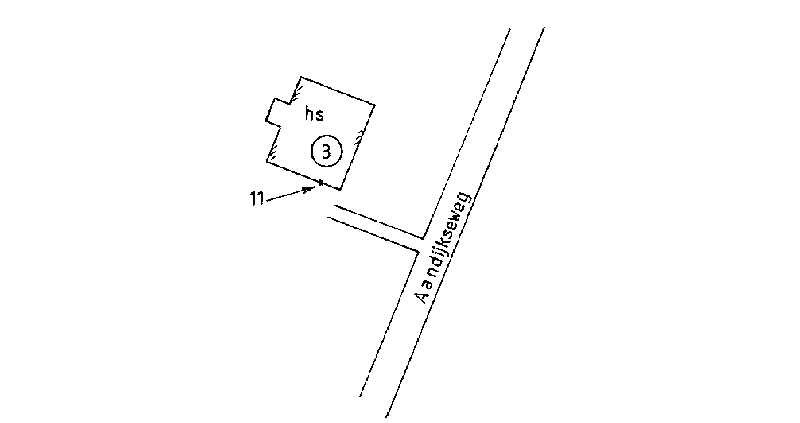
| 401edaa3-9c5f-5e7c-8dc4-b5adafbcb62d | |
|---|---|
| afbeelding | https://www.nsgi.nl/iv-api/rdinfo/images/540/540545e.jpg |
| beheerinfo | n.v.t. |
| benaming | Aandijkseweg 3 Zaamslag |
| blad | 540 |
| bladdeel | B |
| gid | |
| gps | 0 |
| honum | 11 |
| ingerekend | Ja |
| mutatie | 2 |
| punt | 545 |
| rekendossier | 870303 |
| uitgavejaarext | 2000 |
| uitgavevolgext | 3 |
| xrd | 53842 |
| yrd | 372186 |
| 970c1ec4-efe6-56bc-8b54-5fc5b15f396b | |
|---|---|
| afbeelding | https://www.nsgi.nl/iv-api/rdinfo/images/540/540546e.jpg |
| beheerinfo | n.v.t. |
| benaming | Grote Huissenspolderweg 3 |
| blad | 540 |
| bladdeel | B |
| gid | |
| gps | 0 |
| honum | 11 |
| ingerekend | Ja |
| mutatie | 2 |
| punt | 546 |
| rekendossier | 870303 |
| uitgavejaarext | 2000 |
| uitgavevolgext | 3 |
| xrd | 51574 |
| yrd | 372871 |