RD info - Punten
Punten
Er zijn ongeveer 5600 RD-punten, onderverdeeld in RD-net, GNSS-kernnet, AGRS- en NETPOS-stations. Elk RD-punt bestaat uit meerdere Stations waarvan de coördinaten in RD en ETRS89 bekend zijn. De gehele publicatie, inclusief geschiedenis van het RD-punt, bestaat uit ruim 47000 stations (lees: records). Van de ongeveer 5600 RD-punten zijn er ongeveer 400, verspreid over Nederland liggende,…
| df9a2828-8eaa-53a2-aede-b87ddd0353e6 | |
|---|---|
| afbeelding | https://www.nsgi.nl/iv-api/rdinfo/images/459/459340e.jpg |
| beheerinfo | n.v.t. |
| benaming | H.K. Berlicum |
| blad | 459 |
| bladdeel | D |
| gid | |
| gps | 0 |
| honum | 12 |
| ingerekend | Ja |
| mutatie | 2 |
| punt | 340 |
| rekendossier | 890701 |
| uitgavejaarext | 2000 |
| uitgavevolgext | 3 |
| xrd | 154913 |
| yrd | 410605 |
| db22b3a9-b35e-5903-b62f-d0b2edf776b4 | |
|---|---|
| afbeelding | https://www.nsgi.nl/iv-api/rdinfo/images/459/459341a.jpg https://www.nsgi.nl/iv-api/rdinfo/images/459/459341b.jpg https://www.nsgi.nl/iv-api/rdinfo/images/459/459341c.jpg https://www.nsgi.nl/iv-api/rdinfo/images/459/459341e.jpg |
| beheerinfo | n.v.t. |
| benaming | Steen R.D. Langeweg Schijndel |
| blad | 459 |
| bladdeel | D |
| gid | |
| gps | 1 |
| honum | 16 |
| ingerekend | Ja |
| mutatie | 2 |
| punt | 341 |
| rekendossier | 911001 |
| uitgavejaarext | 2012 |
| uitgavevolgext | 2 |
| xrd | 157295 |
| yrd | 401242 |
| 834cd52a-1a79-5b96-a2c3-d9631b9d47fe | |
|---|---|
| afbeelding | https://www.nsgi.nl/iv-api/rdinfo/images/459/459342a.jpg https://www.nsgi.nl/iv-api/rdinfo/images/459/459342b.jpg https://www.nsgi.nl/iv-api/rdinfo/images/459/459342c.jpg https://www.nsgi.nl/iv-api/rdinfo/images/459/459342e.jpg |
| beheerinfo | n.v.t. |
| benaming | Dijkgraaf Stuvers Gemaal |
| blad | 459 |
| bladdeel | B |
| gid | |
| gps | 1 |
| honum | 16 |
| ingerekend | Ja |
| mutatie | 2 |
| punt | 342 |
| rekendossier | 910601 |
| uitgavejaarext | 2012 |
| uitgavevolgext | 2 |
| xrd | 150464 |
| yrd | 422043 |
| aec2e35f-d352-5cf7-aa2d-341df8608c26 | |
|---|---|
| afbeelding | https://www.nsgi.nl/iv-api/rdinfo/images/459/459343a.jpg https://www.nsgi.nl/iv-api/rdinfo/images/459/459343b.jpg https://www.nsgi.nl/iv-api/rdinfo/images/459/459343c.jpg https://www.nsgi.nl/iv-api/rdinfo/images/459/459343e.jpg |
| beheerinfo | n.v.t. |
| benaming | Brug De Omloop Haarsteeg |
| blad | 459 |
| bladdeel | A |
| gid | |
| gps | 1 |
| honum | 15 |
| ingerekend | Ja |
| mutatie | 2 |
| punt | 343 |
| rekendossier | 910601 |
| uitgavejaarext | 2012 |
| uitgavevolgext | 2 |
| xrd | 142435 |
| yrd | 415079 |
| 8f247a75-340f-56b3-9358-4bb4480b55ec | |
|---|---|
| afbeelding | https://www.nsgi.nl/iv-api/rdinfo/images/459/459344a.jpg https://www.nsgi.nl/iv-api/rdinfo/images/459/459344b.jpg https://www.nsgi.nl/iv-api/rdinfo/images/459/459344c.jpg https://www.nsgi.nl/iv-api/rdinfo/images/459/459344e.jpg |
| beheerinfo | n.v.t. |
| benaming | Steen R.D. Oirbroeksesteeg |
| blad | 459 |
| bladdeel | C |
| gid | |
| gps | 1 |
| honum | 17 |
| ingerekend | Ja |
| mutatie | 2 |
| punt | 344 |
| rekendossier | 911001 |
| uitgavejaarext | 2024 |
| uitgavevolgext | 7 |
| xrd | 145429 |
| yrd | 402934 |
| 72541513-4363-58ca-8ca1-7e883abc5c4d | |
|---|---|
| afbeelding | |
| beheerinfo | n.v.t. |
| benaming | NETPOS-station Lith |
| blad | 459 |
| bladdeel | B |
| gid | |
| gps | 1 |
| honum | 12 |
| ingerekend | Ja |
| mutatie | 2 |
| punt | 345 |
| rekendossier | |
| uitgavejaarext | 2024 |
| uitgavevolgext | 8 |
| xrd | 159586 |
| yrd | 424410 |
| 035f7451-2720-51cc-aaf4-08d6ce2d1435 | |
|---|---|
| afbeelding | https://www.nsgi.nl/iv-api/rdinfo/images/459/459512a.jpg https://www.nsgi.nl/iv-api/rdinfo/images/459/459512b.jpg https://www.nsgi.nl/iv-api/rdinfo/images/459/459512c.jpg https://www.nsgi.nl/iv-api/rdinfo/images/459/459512e.jpg |
| beheerinfo | n.v.t. |
| benaming | Fietstunnel N279-oprit A2 |
| blad | 459 |
| bladdeel | D |
| gid | |
| gps | 1 |
| honum | 18 |
| ingerekend | Ja |
| mutatie | 2 |
| punt | 512 |
| rekendossier | 890302 |
| uitgavejaarext | 2012 |
| uitgavevolgext | 2 |
| xrd | 152089 |
| yrd | 410689 |
| d8213267-e4c8-5780-a773-497b96c6c831 | |
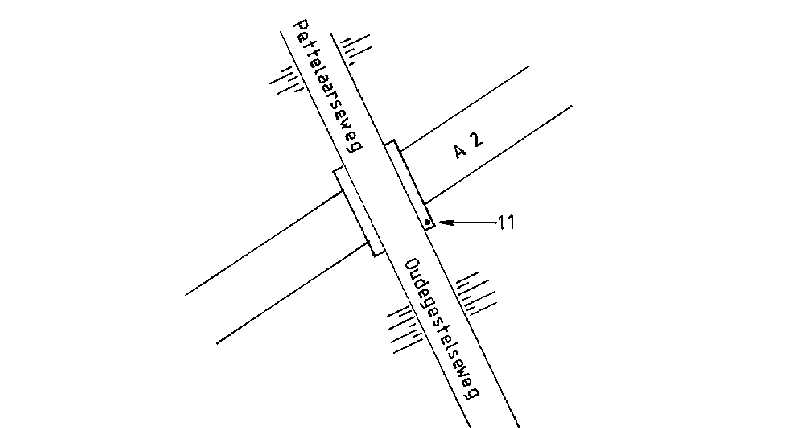
|---|---|
| afbeelding | https://www.nsgi.nl/iv-api/rdinfo/images/459/459513e.jpg |
| beheerinfo | n.v.t. |
| benaming | Viaduct Pettelaarseweg - A2 |
| blad | 459 |
| bladdeel | D |
| gid | |
| gps | 0 |
| honum | 11 |
| ingerekend | Ja |
| mutatie | 2 |
| punt | 513 |
| rekendossier | 890302 |
| uitgavejaarext | 2000 |
| uitgavevolgext | 3 |
| xrd | 150943 |
| yrd | 409443 |
| af9a5a59-0fd8-567d-b47e-4a6fa11feb54 | |
|---|---|
| afbeelding | https://www.nsgi.nl/iv-api/rdinfo/images/459/459514e.jpg |
| beheerinfo | n.v.t. |
| benaming | De Omloop 10 Den Bosch |
| blad | 459 |
| bladdeel | A |
| gid | |
| gps | 0 |
| honum | 12 |
| ingerekend | Ja |
| mutatie | 2 |
| punt | 514 |
| rekendossier | 890302 |
| uitgavejaarext | 2001 |
| uitgavevolgext | 1 |
| xrd | 143542 |
| yrd | 415247 |
| fcdc1735-7179-562b-92f2-388ea83754ed | |
|---|---|
| afbeelding | https://www.nsgi.nl/iv-api/rdinfo/images/459/459515e.jpg |
| beheerinfo | n.v.t. |
| benaming | Dennekampkes Den Bosch |
| blad | 459 |
| bladdeel | A |
| gid | |
| gps | 0 |
| honum | 11 |
| ingerekend | Ja |
| mutatie | 2 |
| punt | 515 |
| rekendossier | 890302 |
| uitgavejaarext | 2000 |
| uitgavevolgext | 3 |
| xrd | 145183 |
| yrd | 414532 |