RD info - Punten
Punten
Er zijn ongeveer 5600 RD-punten, onderverdeeld in RD-net, GNSS-kernnet, AGRS- en NETPOS-stations. Elk RD-punt bestaat uit meerdere Stations waarvan de coördinaten in RD en ETRS89 bekend zijn. De gehele publicatie, inclusief geschiedenis van het RD-punt, bestaat uit ruim 47000 stations (lees: records). Van de ongeveer 5600 RD-punten zijn er ongeveer 400, verspreid over Nederland liggende,…
| e987ed0b-02c1-5bbb-9cfe-b0beca1164e2 | |
|---|---|
| afbeelding | https://www.nsgi.nl/iv-api/rdinfo/images/499/499318a.jpg https://www.nsgi.nl/iv-api/rdinfo/images/499/499318b.jpg https://www.nsgi.nl/iv-api/rdinfo/images/499/499318c.jpg https://www.nsgi.nl/iv-api/rdinfo/images/499/499318e.jpg |
| beheerinfo | n.v.t. |
| benaming | Steen R.D. Zuidpolderdijk |
| blad | 499 |
| bladdeel | D |
| gid | |
| gps | 1 |
| honum | 16 |
| ingerekend | Ja |
| mutatie | 2 |
| punt | 318 |
| rekendossier | 920301 |
| uitgavejaarext | 2023 |
| uitgavevolgext | 3 |
| xrd | 79040 |
| yrd | 378377 |
| 3501ae9c-a53d-500b-b12c-d05f3fe8850b | |
|---|---|
| afbeelding | https://www.nsgi.nl/iv-api/rdinfo/images/499/499319a.jpg https://www.nsgi.nl/iv-api/rdinfo/images/499/499319b.jpg https://www.nsgi.nl/iv-api/rdinfo/images/499/499319c.jpg https://www.nsgi.nl/iv-api/rdinfo/images/499/499319e.jpg |
| beheerinfo | n.v.t. |
| benaming | Steen R.D. Zeedijk Waarde |
| blad | 499 |
| bladdeel | C |
| gid | |
| gps | 1 |
| honum | 16 |
| ingerekend | Ja |
| mutatie | 2 |
| punt | 319 |
| rekendossier | 940203 |
| uitgavejaarext | 2012 |
| uitgavevolgext | 3 |
| xrd | 63293 |
| yrd | 381309 |
| 2ef04c4f-7602-5212-ae22-058a5a5e7333 | |
|---|---|
| afbeelding | https://www.nsgi.nl/iv-api/rdinfo/images/499/499320a.jpg https://www.nsgi.nl/iv-api/rdinfo/images/499/499320b.jpg https://www.nsgi.nl/iv-api/rdinfo/images/499/499320c.jpg https://www.nsgi.nl/iv-api/rdinfo/images/499/499320e.jpg |
| beheerinfo | n.v.t. |
| benaming | Steen R.D. Korringaweg Yerseke |
| blad | 499 |
| bladdeel | A |
| gid | |
| gps | 1 |
| honum | 16 |
| ingerekend | Ja |
| mutatie | 2 |
| punt | 320 |
| rekendossier | 940203 |
| uitgavejaarext | 2025 |
| uitgavevolgext | 3 |
| xrd | 62581 |
| yrd | 389707 |
| 2af830f6-64ed-5b58-8ab5-c3b13f235752 | |
|---|---|
| afbeelding | https://www.nsgi.nl/iv-api/rdinfo/images/499/499321a.jpg https://www.nsgi.nl/iv-api/rdinfo/images/499/499321b.jpg https://www.nsgi.nl/iv-api/rdinfo/images/499/499321e.jpg |
| beheerinfo | n.v.t. |
| benaming | R.K.K. O.L.V. van Lourdes |
| blad | 499 |
| bladdeel | B |
| gid | |
| gps | 0 |
| honum | 1 |
| ingerekend | Ja |
| mutatie | 1 |
| punt | 321 |
| rekendossier | 0 |
| uitgavejaarext | 2004 |
| uitgavevolgext | 3 |
| xrd | 78718 |
| yrd | 389253 |
| f8080a40-f803-5dd2-a85a-e8f979c2ec01 | |
|---|---|
| afbeelding | https://www.nsgi.nl/iv-api/rdinfo/images/499/499323a.jpg https://www.nsgi.nl/iv-api/rdinfo/images/499/499323b.jpg https://www.nsgi.nl/iv-api/rdinfo/images/499/499323c.jpg https://www.nsgi.nl/iv-api/rdinfo/images/499/499323e.jpg |
| beheerinfo | n.v.t. |
| benaming | Martinuskerk Halsteren |
| blad | 499 |
| bladdeel | B |
| gid | |
| gps | 0 |
| honum | 12 |
| ingerekend | Ja |
| mutatie | 1 |
| punt | 323 |
| rekendossier | 0 |
| uitgavejaarext | 2006 |
| uitgavevolgext | 3 |
| xrd | 77286 |
| yrd | 393933 |
| 376e718d-4180-5ef3-899d-1da8b141baf5 | |
|---|---|
| afbeelding | |
| beheerinfo | n.v.t. |
| benaming | NETPOS-station Rilland |
| blad | 499 |
| bladdeel | D |
| gid | |
| gps | 1 |
| honum | 12 |
| ingerekend | Ja |
| mutatie | 2 |
| punt | 324 |
| rekendossier | |
| uitgavejaarext | 2024 |
| uitgavevolgext | 8 |
| xrd | 74595 |
| yrd | 384973 |
| 5dcef820-7a3d-514d-81a7-8fe5abfa5c60 | |
|---|---|
| afbeelding | https://www.nsgi.nl/iv-api/rdinfo/images/499/499517e.jpg |
| beheerinfo | n.v.t. |
| benaming | Akkerseweg 2 Yerseke |
| blad | 499 |
| bladdeel | A |
| gid | |
| gps | 0 |
| honum | 12 |
| ingerekend | Ja |
| mutatie | 2 |
| punt | 517 |
| rekendossier | 0 |
| uitgavejaarext | 2000 |
| uitgavevolgext | 3 |
| xrd | 60479 |
| yrd | 391287 |
| f5cfb5a5-35d4-5a35-83b1-fc41cf3850ba | |
|---|---|
| afbeelding | https://www.nsgi.nl/iv-api/rdinfo/images/499/499518e.jpg |
| beheerinfo | n.v.t. |
| benaming | Vlakeweg 1 Yerseke |
| blad | 499 |
| bladdeel | A |
| gid | |
| gps | 0 |
| honum | 12 |
| ingerekend | Ja |
| mutatie | 2 |
| punt | 518 |
| rekendossier | 0 |
| uitgavejaarext | 2000 |
| uitgavevolgext | 3 |
| xrd | 60032 |
| yrd | 388589 |
| 0622f426-ab2a-59b4-9f88-4420a06df172 | |
|---|---|
| afbeelding | https://www.nsgi.nl/iv-api/rdinfo/images/499/499522e.jpg |
| beheerinfo | n.v.t. |
| benaming | Gemaal Joh. Glerum Kruiningen |
| blad | 499 |
| bladdeel | C |
| gid | |
| gps | 0 |
| honum | 12 |
| ingerekend | Ja |
| mutatie | 2 |
| punt | 522 |
| rekendossier | 0 |
| uitgavejaarext | 2000 |
| uitgavevolgext | 3 |
| xrd | 60984 |
| yrd | 383622 |
| acba6c92-dbad-5fef-9c60-3ca4cc1ff1f5 | |
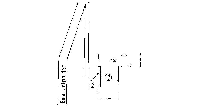
|---|---|
| afbeelding | https://www.nsgi.nl/iv-api/rdinfo/images/499/499523e.jpg |
| beheerinfo | n.v.t. |
| benaming | Emanuelpolder 7 Waarde |
| blad | 499 |
| bladdeel | C |
| gid | |
| gps | 0 |
| honum | 12 |
| ingerekend | Ja |
| mutatie | 2 |
| punt | 523 |
| rekendossier | 0 |
| uitgavejaarext | 2000 |
| uitgavevolgext | 3 |
| xrd | 64829 |
| yrd | 380953 |