RD info - Punten
Punten
Er zijn ongeveer 5600 RD-punten, onderverdeeld in RD-net, GNSS-kernnet, AGRS- en NETPOS-stations. Elk RD-punt bestaat uit meerdere Stations waarvan de coördinaten in RD en ETRS89 bekend zijn. De gehele publicatie, inclusief geschiedenis van het RD-punt, bestaat uit ruim 47000 stations (lees: records). Van de ongeveer 5600 RD-punten zijn er ongeveer 400, verspreid over Nederland liggende,…
| 45fccce8-a69e-593b-a2df-ee994ff9b599 | |
|---|---|
| afbeelding | https://www.nsgi.nl/iv-api/rdinfo/images/499/499551e.jpg |
| beheerinfo | n.v.t. |
| benaming | Gemaalweg St.Maartensdijk |
| blad | 499 |
| bladdeel | A |
| gid | |
| gps | 0 |
| honum | 12 |
| ingerekend | Ja |
| mutatie | 2 |
| punt | 551 |
| rekendossier | 861005 |
| uitgavejaarext | 2000 |
| uitgavevolgext | 3 |
| xrd | 61031 |
| yrd | 397258 |
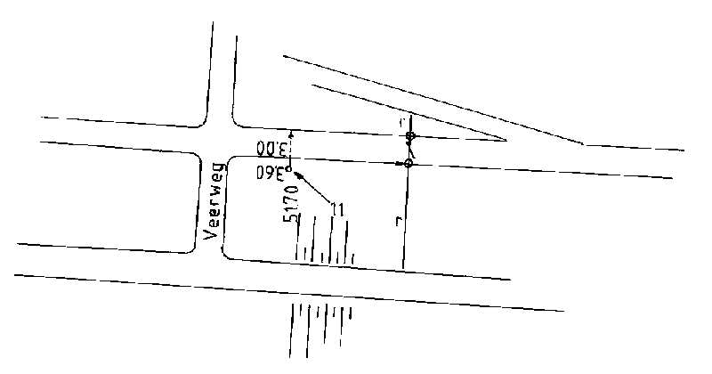
| c9704f4c-ea63-5107-86a7-ab6bb3ffade4 | |
|---|---|
| afbeelding | https://www.nsgi.nl/iv-api/rdinfo/images/499/499552e.jpg |
| beheerinfo | n.v.t. |
| benaming | Veerweg-Zeedijk Tholen |
| blad | 499 |
| bladdeel | B |
| gid | |
| gps | 0 |
| honum | 11 |
| ingerekend | Ja |
| mutatie | 2 |
| punt | 552 |
| rekendossier | 861005 |
| uitgavejaarext | 2000 |
| uitgavevolgext | 3 |
| xrd | 70737 |
| yrd | 392703 |
| 0d96a14e-4e73-5ded-bdf2-cc97825ac581 | |
|---|---|
| afbeelding | https://www.nsgi.nl/iv-api/rdinfo/images/500/500201e.jpg |
| beheerinfo | n.v.t. |
| benaming | R.K.K. Ravels (B.) |
| blad | 500 |
| bladdeel | C |
| gid | |
| gps | 0 |
| honum | 14 |
| ingerekend | Ja |
| mutatie | 2 |
| punt | 201 |
| rekendossier | 680001 |
| uitgavejaarext | 2000 |
| uitgavevolgext | 3 |
| xrd | 127662 |
| yrd | 375890 |
| b4c8ddbd-8a83-5acd-ac7a-2eaa20a02004 | |
|---|---|
| afbeelding | https://www.nsgi.nl/iv-api/rdinfo/images/500/500202e.jpg |
| beheerinfo | n.v.t. |
| benaming | R.K.K. Lage Mierde |
| blad | 500 |
| bladdeel | D |
| gid | |
| gps | 0 |
| honum | 13 |
| ingerekend | Ja |
| mutatie | 2 |
| punt | 202 |
| rekendossier | 680001 |
| uitgavejaarext | 2000 |
| uitgavevolgext | 3 |
| xrd | 138439 |
| yrd | 379684 |
| 608edbae-3345-5747-bde7-081bfbc6d8a0 | |
|---|---|
| afbeelding | https://www.nsgi.nl/iv-api/rdinfo/images/500/500203e.jpg |
| beheerinfo | n.v.t. |
| benaming | R.K.K. Baarle Hertog (B.) |
| blad | 500 |
| bladdeel | C |
| gid | |
| gps | 0 |
| honum | 13 |
| ingerekend | Ja |
| mutatie | 2 |
| punt | 203 |
| rekendossier | 690001 |
| uitgavejaarext | 2000 |
| uitgavevolgext | 3 |
| xrd | 123253 |
| yrd | 383791 |
| adcdc463-069a-5a15-9920-50a91b52c0df | |
|---|---|
| afbeelding | https://www.nsgi.nl/iv-api/rdinfo/images/500/500204e.jpg |
| beheerinfo | n.v.t. |
| benaming | R.K.K. Poppel (B.) |
| blad | 500 |
| bladdeel | D |
| gid | |
| gps | 0 |
| honum | 15 |
| ingerekend | Ja |
| mutatie | 2 |
| punt | 204 |
| rekendossier | 680001 |
| uitgavejaarext | 2001 |
| uitgavevolgext | 1 |
| xrd | 130776 |
| yrd | 384157 |
| 84d47ee1-0890-5e21-bd09-68426c733e18 | |
|---|---|
| afbeelding | https://www.nsgi.nl/iv-api/rdinfo/images/500/500205e.jpg |
| beheerinfo | n.v.t. |
| benaming | Jachthuis Gorp en Rovert |
| blad | 500 |
| bladdeel | D |
| gid | |
| gps | 0 |
| honum | 15 |
| ingerekend | Ja |
| mutatie | 2 |
| punt | 205 |
| rekendossier | 680001 |
| uitgavejaarext | 2000 |
| uitgavevolgext | 3 |
| xrd | 133023 |
| yrd | 387241 |
| d0d09e38-4b64-5e25-9e71-08561973b062 | |
|---|---|
| afbeelding | https://www.nsgi.nl/iv-api/rdinfo/images/500/500206e.jpg |
| beheerinfo | n.v.t. |
| benaming | R.K.K. Alphen |
| blad | 500 |
| bladdeel | A |
| gid | |
| gps | 0 |
| honum | 15 |
| ingerekend | Ja |
| mutatie | 2 |
| punt | 206 |
| rekendossier | 690001 |
| uitgavejaarext | 2000 |
| uitgavevolgext | 3 |
| xrd | 124937 |
| yrd | 388475 |
| 4da5af14-0d4b-54fd-a7c0-15b48ebbdf7f | |
|---|---|
| afbeelding | https://www.nsgi.nl/iv-api/rdinfo/images/500/500207e.jpg |
| beheerinfo | n.v.t. |
| benaming | R.K.K. Hilvarenbeek |
| blad | 500 |
| bladdeel | B |
| gid | |
| gps | 0 |
| honum | 14 |
| ingerekend | Ja |
| mutatie | 2 |
| punt | 207 |
| rekendossier | 680001 |
| uitgavejaarext | 2001 |
| uitgavevolgext | 1 |
| xrd | 137569 |
| yrd | 388488 |
| b6294c2e-422d-5dc6-88e0-51b04e7fd11f | |
|---|---|
| afbeelding | https://www.nsgi.nl/iv-api/rdinfo/images/500/500208e.jpg |
| beheerinfo | n.v.t. |
| benaming | R.K.K. Gilze |
| blad | 500 |
| bladdeel | A |
| gid | |
| gps | 0 |
| honum | 14 |
| ingerekend | Ja |
| mutatie | 2 |
| punt | 208 |
| rekendossier | 690001 |
| uitgavejaarext | 2001 |
| uitgavevolgext | 1 |
| xrd | 124052 |
| yrd | 394784 |