RD info - Punten
Punten
Er zijn ongeveer 5600 RD-punten, onderverdeeld in RD-net, GNSS-kernnet, AGRS- en NETPOS-stations. Elk RD-punt bestaat uit meerdere Stations waarvan de coördinaten in RD en ETRS89 bekend zijn. De gehele publicatie, inclusief geschiedenis van het RD-punt, bestaat uit ruim 47000 stations (lees: records). Van de ongeveer 5600 RD-punten zijn er ongeveer 400, verspreid over Nederland liggende,…
| 563df6e8-840c-5ae2-bb59-ce91c9c4dc6b | |
|---|---|
| afbeelding | https://www.nsgi.nl/iv-api/rdinfo/images/509/509318e.jpg |
| beheerinfo | n.v.t. |
| benaming | Partycentr. R.P. Wernhoutsburg |
| blad | 509 |
| bladdeel | C |
| gid | |
| gps | 0 |
| honum | 13 |
| ingerekend | Ja |
| mutatie | 2 |
| punt | 318 |
| rekendossier | 741218 |
| uitgavejaarext | 2001 |
| uitgavevolgext | 1 |
| xrd | 102076 |
| yrd | 382462 |
| 55663e46-482c-5b38-ad21-b9a4a5f31262 | |
|---|---|
| afbeelding | https://www.nsgi.nl/iv-api/rdinfo/images/509/509319e.jpg |
| beheerinfo | n.v.t. |
| benaming | Maxburgdreef 37 (B.) |
| blad | 509 |
| bladdeel | C |
| gid | |
| gps | 0 |
| honum | 12 |
| ingerekend | Ja |
| mutatie | 2 |
| punt | 319 |
| rekendossier | 741218 |
| uitgavejaarext | 2001 |
| uitgavevolgext | 1 |
| xrd | 105579 |
| yrd | 383917 |
| fd1b5e4f-50a0-56f7-b038-9c2f5426738a | |
|---|---|
| afbeelding | https://www.nsgi.nl/iv-api/rdinfo/images/509/509320e.jpg |
| beheerinfo | n.v.t. |
| benaming | R.K.K. Leur |
| blad | 509 |
| bladdeel | A |
| gid | |
| gps | 0 |
| honum | 13 |
| ingerekend | Ja |
| mutatie | 2 |
| punt | 320 |
| rekendossier | 750218 |
| uitgavejaarext | 2006 |
| uitgavevolgext | 3 |
| xrd | 104403 |
| yrd | 399963 |
| f98a0283-3965-556c-886d-78d3beeceeec | |
|---|---|
| afbeelding | https://www.nsgi.nl/iv-api/rdinfo/images/509/509321e.jpg |
| beheerinfo | n.v.t. |
| benaming | Steen R.D. Moerdijkse Postbaan |
| blad | 509 |
| bladdeel | A |
| gid | |
| gps | 0 |
| honum | 13 |
| ingerekend | Ja |
| mutatie | 2 |
| punt | 321 |
| rekendossier | 840701 |
| uitgavejaarext | 2000 |
| uitgavevolgext | 3 |
| xrd | 106958 |
| yrd | 396712 |
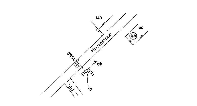
| 681766af-eade-5ca2-a28d-4b1b886233da | |
|---|---|
| afbeelding | https://www.nsgi.nl/iv-api/rdinfo/images/509/509322e.jpg |
| beheerinfo | n.v.t. |
| benaming | Steen R.D. Muizenstraat |
| blad | 509 |
| bladdeel | A |
| gid | |
| gps | 0 |
| honum | 13 |
| ingerekend | Ja |
| mutatie | 2 |
| punt | 322 |
| rekendossier | 840701 |
| uitgavejaarext | 2000 |
| uitgavevolgext | 3 |
| xrd | 103409 |
| yrd | 394705 |
| 9125df8f-7bbd-50ce-b42e-312c8893910c | |
|---|---|
| afbeelding | https://www.nsgi.nl/iv-api/rdinfo/images/509/509323e.jpg |
| beheerinfo | n.v.t. |
| benaming | Bredaseweg 74 Chaam |
| blad | 509 |
| bladdeel | B |
| gid | |
| gps | 0 |
| honum | 12 |
| ingerekend | Ja |
| mutatie | 2 |
| punt | 323 |
| rekendossier | 880502 |
| uitgavejaarext | 2000 |
| uitgavevolgext | 3 |
| xrd | 116601 |
| yrd | 392676 |
| d5147770-ab83-5a13-b0e6-285627298fb6 | |
|---|---|
| afbeelding | https://www.nsgi.nl/iv-api/rdinfo/images/509/509329a.jpg https://www.nsgi.nl/iv-api/rdinfo/images/509/509329b.jpg https://www.nsgi.nl/iv-api/rdinfo/images/509/509329c.jpg https://www.nsgi.nl/iv-api/rdinfo/images/509/509329e.jpg |
| beheerinfo | n.v.t. |
| benaming | Grondanker R.D. Kluisstraat |
| blad | 509 |
| bladdeel | B |
| gid | |
| gps | 1 |
| honum | 18 |
| ingerekend | Ja |
| mutatie | 2 |
| punt | 329 |
| rekendossier | 920301 |
| uitgavejaarext | 2012 |
| uitgavevolgext | 2 |
| xrd | 115869 |
| yrd | 398507 |
| 659c84a8-f3bd-5710-931a-320d2aab3f32 | |
|---|---|
| afbeelding | https://www.nsgi.nl/iv-api/rdinfo/images/509/509330a.jpg https://www.nsgi.nl/iv-api/rdinfo/images/509/509330b.jpg https://www.nsgi.nl/iv-api/rdinfo/images/509/509330c.jpg https://www.nsgi.nl/iv-api/rdinfo/images/509/509330e.jpg |
| beheerinfo | n.v.t. |
| benaming | Grondanker Hoogstratensebaan |
| blad | 509 |
| bladdeel | D |
| gid | |
| gps | 1 |
| honum | 18 |
| ingerekend | Ja |
| mutatie | 2 |
| punt | 330 |
| rekendossier | 940701 |
| uitgavejaarext | 2022 |
| uitgavevolgext | 4 |
| xrd | 115465 |
| yrd | 381125 |
| b54dbe74-e70c-5e90-a869-e3329ab73c84 | |
|---|---|
| afbeelding | https://www.nsgi.nl/iv-api/rdinfo/images/509/509332a.jpg https://www.nsgi.nl/iv-api/rdinfo/images/509/509332b.jpg https://www.nsgi.nl/iv-api/rdinfo/images/509/509332c.jpg https://www.nsgi.nl/iv-api/rdinfo/images/509/509332e.jpg |
| beheerinfo | n.v.t. |
| benaming | Steen R.D. Noordhoeksestraat |
| blad | 509 |
| bladdeel | A |
| gid | |
| gps | 1 |
| honum | 13 |
| ingerekend | ja |
| mutatie | 2 |
| punt | 332 |
| rekendossier | 0 |
| uitgavejaarext | 2012 |
| uitgavevolgext | 2 |
| xrd | 108621 |
| yrd | 391241 |
| c6843ebb-6078-59ab-8a2c-aba0a7aa2794 | |
|---|---|
| afbeelding | https://www.nsgi.nl/iv-api/rdinfo/images/509/509334a.jpg https://www.nsgi.nl/iv-api/rdinfo/images/509/509334b.jpg https://www.nsgi.nl/iv-api/rdinfo/images/509/509334c.jpg https://www.nsgi.nl/iv-api/rdinfo/images/509/509334e.jpg |
| beheerinfo | n.v.t. |
| benaming | Grondanker R.D. Merenweg (B.) |
| blad | 509 |
| bladdeel | C |
| gid | |
| gps | 1 |
| honum | 13 |
| ingerekend | Ja |
| mutatie | 2 |
| punt | 334 |
| rekendossier | 0 |
| uitgavejaarext | 2012 |
| uitgavevolgext | 2 |
| xrd | 108484 |
| yrd | 384633 |