RD info - Punten
Punten
Er zijn ongeveer 5600 RD-punten, onderverdeeld in RD-net, GNSS-kernnet, AGRS- en NETPOS-stations. Elk RD-punt bestaat uit meerdere Stations waarvan de coördinaten in RD en ETRS89 bekend zijn. De gehele publicatie, inclusief geschiedenis van het RD-punt, bestaat uit ruim 47000 stations (lees: records). Van de ongeveer 5600 RD-punten zijn er ongeveer 400, verspreid over Nederland liggende,…
| 000268bd-96a6-5c28-889a-6d49eb7ca354 | |
|---|---|
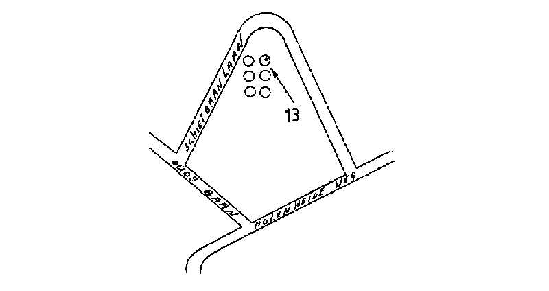
| afbeelding | https://www.nsgi.nl/iv-api/rdinfo/images/519/519322e.jpg |
| beheerinfo | n.v.t. |
| benaming | R.K.K. Diessen |
| blad | 519 |
| bladdeel | C |
| gid | |
| gps | 0 |
| honum | 13 |
| ingerekend | Ja |
| mutatie | 2 |
| punt | 322 |
| rekendossier | 741118 |
| uitgavejaarext | 2000 |
| uitgavevolgext | 3 |
| xrd | 140272 |
| yrd | 387372 |
| 3867a717-ce3f-5eab-bb36-70cc6996e4a1 | |
|---|---|
| afbeelding | https://www.nsgi.nl/iv-api/rdinfo/images/519/519323e.jpg |
| beheerinfo | n.v.t. |
| benaming | Legerplaats Oirschot |
| blad | 519 |
| bladdeel | B |
| gid | |
| gps | 0 |
| honum | 12 |
| ingerekend | Ja |
| mutatie | 2 |
| punt | 323 |
| rekendossier | 791120 |
| uitgavejaarext | 2000 |
| uitgavevolgext | 3 |
| xrd | 153608 |
| yrd | 387567 |
| ca9fc2c3-70cb-5421-825d-f9b95cb46897 | |
|---|---|
| afbeelding | https://www.nsgi.nl/iv-api/rdinfo/images/519/519324e.jpg |
| beheerinfo | n.v.t. |
| benaming | R.K.K. Boskant |
| blad | 519 |
| bladdeel | B |
| gid | |
| gps | 0 |
| honum | 12 |
| ingerekend | Ja |
| mutatie | 2 |
| punt | 324 |
| rekendossier | 861206 |
| uitgavejaarext | 2000 |
| uitgavevolgext | 3 |
| xrd | 157405 |
| yrd | 395636 |
| 830f096a-4f8d-5176-ac76-36f77cc1fd3c | |
|---|---|
| afbeelding | https://www.nsgi.nl/iv-api/rdinfo/images/519/519325e.jpg |
| beheerinfo | n.v.t. |
| benaming | Hoogsp.mast 145 Schietbaanlaan |
| blad | 519 |
| bladdeel | B |
| gid | |
| gps | 0 |
| honum | 13 |
| ingerekend | Ja |
| mutatie | 2 |
| punt | 325 |
| rekendossier | 861207 |
| uitgavejaarext | 2000 |
| uitgavevolgext | 3 |
| xrd | 157958 |
| yrd | 392801 |
| c3bba933-d341-5d81-ae78-1720b6171931 | |
|---|---|
| afbeelding | https://www.nsgi.nl/iv-api/rdinfo/images/519/519326e.jpg |
| beheerinfo | n.v.t. |
| benaming | Trafo spoorbaan Boxtel-Best |
| blad | 519 |
| bladdeel | B |
| gid | |
| gps | 0 |
| honum | 13 |
| ingerekend | Ja |
| mutatie | 2 |
| punt | 326 |
| rekendossier | 861208 |
| uitgavejaarext | 2000 |
| uitgavevolgext | 3 |
| xrd | 152964 |
| yrd | 394989 |
| ecdae3aa-8c02-58ea-840b-720ad204f091 | |
|---|---|
| afbeelding | https://www.nsgi.nl/iv-api/rdinfo/images/519/519327e.jpg |
| beheerinfo | n.v.t. |
| benaming | Trafohuis Nieuwe dijk Oirschot |
| blad | 519 |
| bladdeel | A |
| gid | |
| gps | 0 |
| honum | 12 |
| ingerekend | Ja |
| mutatie | 2 |
| punt | 327 |
| rekendossier | 861202 |
| uitgavejaarext | 2000 |
| uitgavevolgext | 3 |
| xrd | 147796 |
| yrd | 394579 |
| c8ea6305-5982-5483-b3b1-d952dd5d4e4c | |
|---|---|
| afbeelding | https://www.nsgi.nl/iv-api/rdinfo/images/519/519328e.jpg |
| beheerinfo | n.v.t. |
| benaming | Trafo Oirschotse Baan |
| blad | 519 |
| bladdeel | A |
| gid | |
| gps | 0 |
| honum | 12 |
| ingerekend | Ja |
| mutatie | 2 |
| punt | 328 |
| rekendossier | 861202 |
| uitgavejaarext | 2000 |
| uitgavevolgext | 3 |
| xrd | 144338 |
| yrd | 394863 |
| 6108292f-4968-5969-9922-939a11ccd6bb | |
|---|---|
| afbeelding | https://www.nsgi.nl/iv-api/rdinfo/images/519/519329a.jpg https://www.nsgi.nl/iv-api/rdinfo/images/519/519329e.jpg |
| beheerinfo | n.v.t. |
| benaming | Trafo Kapelweg Boxtel |
| blad | 519 |
| bladdeel | A |
| gid | |
| gps | 0 |
| honum | 12 |
| ingerekend | Ja |
| mutatie | 2 |
| punt | 329 |
| rekendossier | 861202 |
| uitgavejaarext | 2000 |
| uitgavevolgext | 3 |
| xrd | 147437 |
| yrd | 399962 |
| d1949059-6ea2-56a0-ab21-a83ba2048297 | |
|---|---|
| afbeelding | https://www.nsgi.nl/iv-api/rdinfo/images/519/519330e.jpg |
| beheerinfo | n.v.t. |
| benaming | Steen R.D. Kampinasche Heide |
| blad | 519 |
| bladdeel | A |
| gid | |
| gps | 0 |
| honum | 13 |
| ingerekend | Ja |
| mutatie | 2 |
| punt | 330 |
| rekendossier | 861202 |
| uitgavejaarext | 2001 |
| uitgavevolgext | 1 |
| xrd | 146353 |
| yrd | 396991 |
| 400b2c82-64c4-5f49-8762-067341c397b3 | |
|---|---|
| afbeelding | https://www.nsgi.nl/iv-api/rdinfo/images/519/519331e.jpg |
| beheerinfo | n.v.t. |
| benaming | Kapelweg 90 Boxtel |
| blad | 519 |
| bladdeel | A |
| gid | |
| gps | 0 |
| honum | 12 |
| ingerekend | Ja |
| mutatie | 2 |
| punt | 331 |
| rekendossier | 881204 |
| uitgavejaarext | 2000 |
| uitgavevolgext | 3 |
| xrd | 145306 |
| yrd | 399838 |