RD info - Punten
Punten
Er zijn ongeveer 5600 RD-punten, onderverdeeld in RD-net, GNSS-kernnet, AGRS- en NETPOS-stations. Elk RD-punt bestaat uit meerdere Stations waarvan de coördinaten in RD en ETRS89 bekend zijn. De gehele publicatie, inclusief geschiedenis van het RD-punt, bestaat uit ruim 47000 stations (lees: records). Van de ongeveer 5600 RD-punten zijn er ongeveer 400, verspreid over Nederland liggende,…
| 412d9292-5b53-5f9e-ae11-1aeb616fc873 | |
|---|---|
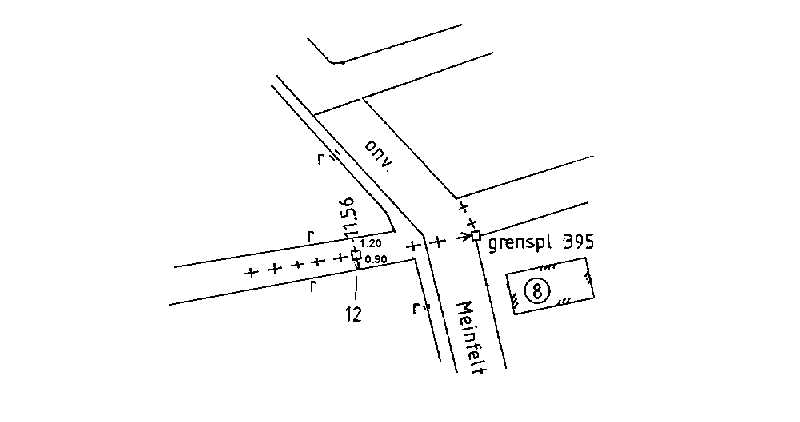
| afbeelding | https://www.nsgi.nl/iv-api/rdinfo/images/580/580323e.jpg |
| beheerinfo | n.v.t. |
| benaming | Steen R.D. grenspaal 395 |
| blad | 580 |
| bladdeel | D |
| gid | |
| gps | 0 |
| honum | 13 |
| ingerekend | Ja |
| mutatie | 2 |
| punt | 323 |
| rekendossier | 851104 |
| uitgavejaarext | 2002 |
| uitgavevolgext | 1 |
| xrd | 210478 |
| yrd | 355511 |
| 8543f45c-181a-52cd-97d2-7d01a1f1c000 | |
|---|---|
| afbeelding | https://www.nsgi.nl/iv-api/rdinfo/images/580/580325e.jpg |
| beheerinfo | n.v.t. |
| benaming | Grenspaal nr. 441 |
| blad | 580 |
| bladdeel | A |
| gid | |
| gps | 0 |
| honum | 13 |
| ingerekend | Ja |
| mutatie | 2 |
| punt | 325 |
| rekendossier | 880302 |
| uitgavejaarext | 2000 |
| uitgavevolgext | 3 |
| xrd | 208840 |
| yrd | 369908 |
| 3a4c80f3-a43d-55c3-8194-bdee44fce283 | |
|---|---|
| afbeelding | https://www.nsgi.nl/iv-api/rdinfo/images/580/580326e.jpg |
| beheerinfo | n.v.t. |
| benaming | Fontys Hogescholen Venlo |
| blad | 580 |
| bladdeel | A |
| gid | |
| gps | 0 |
| honum | 12 |
| ingerekend | Ja |
| mutatie | 2 |
| punt | 326 |
| rekendossier | 890101 |
| uitgavejaarext | 2000 |
| uitgavevolgext | 3 |
| xrd | 208398 |
| yrd | 374084 |
| 1b94bb6a-53d9-53b7-874f-131df9ad3f35 | |
|---|---|
| afbeelding | https://www.nsgi.nl/iv-api/rdinfo/images/580/580327e.jpg |
| beheerinfo | n.v.t. |
| benaming | Casinoweg 47 t/m 285 Venlo |
| blad | 580 |
| bladdeel | B |
| gid | |
| gps | 0 |
| honum | 13 |
| ingerekend | Ja |
| mutatie | 2 |
| punt | 327 |
| rekendossier | 890101 |
| uitgavejaarext | 2000 |
| uitgavevolgext | 3 |
| xrd | 210818 |
| yrd | 374884 |
| a6a47103-d9d0-5cb7-95cb-26227cfc35b1 | |
|---|---|
| afbeelding | https://www.nsgi.nl/iv-api/rdinfo/images/580/580328a.jpg https://www.nsgi.nl/iv-api/rdinfo/images/580/580328b.jpg https://www.nsgi.nl/iv-api/rdinfo/images/580/580328c.jpg https://www.nsgi.nl/iv-api/rdinfo/images/580/580328e.jpg |
| beheerinfo | n.v.t. |
| benaming | Steen R.D. Paarlo |
| blad | 580 |
| bladdeel | C |
| gid | |
| gps | 1 |
| honum | 17 |
| ingerekend | Ja |
| mutatie | 2 |
| punt | 328 |
| rekendossier | 930903 |
| uitgavejaarext | 2022 |
| uitgavevolgext | 4 |
| xrd | 200527 |
| yrd | 350875 |
| ced96328-de17-5b91-a4d4-fd486403cadf | |
|---|---|
| afbeelding | https://www.nsgi.nl/iv-api/rdinfo/images/580/580330a.jpg https://www.nsgi.nl/iv-api/rdinfo/images/580/580330b.jpg https://www.nsgi.nl/iv-api/rdinfo/images/580/580330c.jpg https://www.nsgi.nl/iv-api/rdinfo/images/580/580330e.jpg |
| beheerinfo | n.v.t. |
| benaming | Grondanker R.D. Haambroekweg |
| blad | 580 |
| bladdeel | C |
| gid | |
| gps | 1 |
| honum | 13 |
| ingerekend | Ja |
| mutatie | 2 |
| punt | 330 |
| rekendossier | 0 |
| uitgavejaarext | 2022 |
| uitgavevolgext | 4 |
| xrd | 200932 |
| yrd | 357068 |
| 012a3061-3dc4-5d57-afd1-74aeac30cd2b | |
|---|---|
| afbeelding | https://www.nsgi.nl/iv-api/rdinfo/images/580/580510e.jpg |
| beheerinfo | n.v.t. |
| benaming | Beeselseweg 17 Reuver |
| blad | 580 |
| bladdeel | A |
| gid | |
| gps | 0 |
| honum | 11 |
| ingerekend | Ja |
| mutatie | 2 |
| punt | 510 |
| rekendossier | 0 |
| uitgavejaarext | 2000 |
| uitgavevolgext | 3 |
| xrd | 202143 |
| yrd | 365495 |
| ae085f29-be54-5823-b572-8b00647166ba | |
|---|---|
| afbeelding | https://www.nsgi.nl/iv-api/rdinfo/images/580/580511e.jpg |
| beheerinfo | n.v.t. |
| benaming | Grenspaal 407 |
| blad | 580 |
| bladdeel | C |
| gid | |
| gps | 0 |
| honum | 12 |
| ingerekend | Ja |
| mutatie | 2 |
| punt | 511 |
| rekendossier | 851104 |
| uitgavejaarext | 2000 |
| uitgavevolgext | 3 |
| xrd | 203605 |
| yrd | 353809 |
| acd9f132-2a1b-52c0-8bc5-74d02962a555 | |
|---|---|
| afbeelding | https://www.nsgi.nl/iv-api/rdinfo/images/589/589101e.jpg |
| beheerinfo | n.v.t. |
| benaming | R.K.K. Nederweert |
| blad | 589 |
| bladdeel | A |
| gid | |
| gps | 0 |
| honum | 24 |
| ingerekend | Ja |
| mutatie | 2 |
| punt | 101 |
| rekendossier | 0 |
| uitgavejaarext | 2003 |
| uitgavevolgext | 1 |
| xrd | 180183 |
| yrd | 366377 |
| 45887f29-af14-5dad-85d8-ce45adbfd37d | |
|---|---|
| afbeelding | https://www.nsgi.nl/iv-api/rdinfo/images/589/589201e.jpg |
| beheerinfo | n.v.t. |
| benaming | R.K.K. Thorn |
| blad | 589 |
| bladdeel | C |
| gid | |
| gps | 0 |
| honum | 17 |
| ingerekend | Ja |
| mutatie | 2 |
| punt | 201 |
| rekendossier | 680001 |
| uitgavejaarext | 2000 |
| uitgavevolgext | 3 |
| xrd | 186796 |
| yrd | 352445 |