RD info - Punten
Punten
Er zijn ongeveer 5600 RD-punten, onderverdeeld in RD-net, GNSS-kernnet, AGRS- en NETPOS-stations. Elk RD-punt bestaat uit meerdere Stations waarvan de coördinaten in RD en ETRS89 bekend zijn. De gehele publicatie, inclusief geschiedenis van het RD-punt, bestaat uit ruim 47000 stations (lees: records). Van de ongeveer 5600 RD-punten zijn er ongeveer 400, verspreid over Nederland liggende,…
| 415212cd-8a3b-51b2-8507-d488ec26e6c5 | |
|---|---|
| afbeelding | https://www.nsgi.nl/iv-api/rdinfo/images/629/629377e.jpg |
| beheerinfo | n.v.t. |
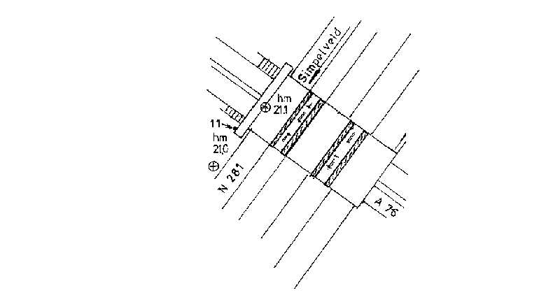
| benaming | Steen R.D. Retersbeek |
| blad | 629 |
| bladdeel | B |
| gid | |
| gps | 0 |
| honum | 13 |
| ingerekend | Ja |
| mutatie | 2 |
| punt | 377 |
| rekendossier | 920302 |
| uitgavejaarext | 2000 |
| uitgavevolgext | 3 |
| xrd | 191773 |
| yrd | 322613 |
| 2c243459-965f-5fc8-b443-f3ff528ac457 | |
|---|---|
| afbeelding | https://www.nsgi.nl/iv-api/rdinfo/images/629/629378a.jpg https://www.nsgi.nl/iv-api/rdinfo/images/629/629378b.jpg https://www.nsgi.nl/iv-api/rdinfo/images/629/629378c.jpg https://www.nsgi.nl/iv-api/rdinfo/images/629/629378e.jpg |
| beheerinfo | n.v.t. |
| benaming | Schakelkast Schuttebergsweg |
| blad | 629 |
| bladdeel | D |
| gid | |
| gps | 1 |
| honum | 15 |
| ingerekend | Ja |
| mutatie | 2 |
| punt | 378 |
| rekendossier | 930903 |
| uitgavejaarext | 2025 |
| uitgavevolgext | 3 |
| xrd | 198522 |
| yrd | 307609 |
| 7c455992-22c1-50fd-95f8-61a84be40be4 | |
|---|---|
| afbeelding | https://www.nsgi.nl/iv-api/rdinfo/images/629/629379a.jpg https://www.nsgi.nl/iv-api/rdinfo/images/629/629379b.jpg https://www.nsgi.nl/iv-api/rdinfo/images/629/629379c.jpg https://www.nsgi.nl/iv-api/rdinfo/images/629/629379e.jpg |
| beheerinfo | n.v.t. |
| benaming | Steen R.D. Gasthuis |
| blad | 629 |
| bladdeel | A |
| gid | |
| gps | 1 |
| honum | 18 |
| ingerekend | Ja |
| mutatie | 2 |
| punt | 379 |
| rekendossier | 920602 |
| uitgavejaarext | 2012 |
| uitgavevolgext | 2 |
| xrd | 183375 |
| yrd | 317230 |
| 72675fe3-81c9-5696-bb1a-8ab8812432f1 | |
|---|---|
| afbeelding | https://www.nsgi.nl/iv-api/rdinfo/images/629/629380a.jpg https://www.nsgi.nl/iv-api/rdinfo/images/629/629380b.jpg https://www.nsgi.nl/iv-api/rdinfo/images/629/629380c.jpg https://www.nsgi.nl/iv-api/rdinfo/images/629/629380e.jpg |
| beheerinfo | n.v.t. |
| benaming | Viaduct Beersdalweg - A 76 |
| blad | 629 |
| bladdeel | B |
| gid | |
| gps | 1 |
| honum | 15 |
| ingerekend | Ja |
| mutatie | 2 |
| punt | 380 |
| rekendossier | 920602 |
| uitgavejaarext | 2021 |
| uitgavevolgext | 3 |
| xrd | 193291 |
| yrd | 323393 |
| 84eeb1f6-e447-57af-9ec8-aa8f84ce1642 | |
|---|---|
| afbeelding | https://www.nsgi.nl/iv-api/rdinfo/images/629/629381a.jpg https://www.nsgi.nl/iv-api/rdinfo/images/629/629381b.jpg https://www.nsgi.nl/iv-api/rdinfo/images/629/629381c.jpg https://www.nsgi.nl/iv-api/rdinfo/images/629/629381e.jpg |
| beheerinfo | n.v.t. |
| benaming | Steen R.D. bij mast Eyserheide |
| blad | 629 |
| bladdeel | B |
| gid | |
| gps | 1 |
| honum | 13 |
| ingerekend | Ja |
| mutatie | 2 |
| punt | 381 |
| rekendossier | 920602 |
| uitgavejaarext | 2012 |
| uitgavevolgext | 2 |
| xrd | 192948 |
| yrd | 316039 |
| ce1cfc53-81d6-56ea-a5b6-393add18868a | |
|---|---|
| afbeelding | https://www.nsgi.nl/iv-api/rdinfo/images/629/629383a.jpg https://www.nsgi.nl/iv-api/rdinfo/images/629/629383b.jpg https://www.nsgi.nl/iv-api/rdinfo/images/629/629383e.jpg |
| beheerinfo | n.v.t. |
| benaming | NETPOS-station Kerkrade |
| blad | 629 |
| bladdeel | B |
| gid | |
| gps | 1 |
| honum | 14 |
| ingerekend | ja |
| mutatie | 2 |
| punt | 383 |
| rekendossier | |
| uitgavejaarext | 2024 |
| uitgavevolgext | 8 |
| xrd | 198639 |
| yrd | 318179 |
| c2efdde3-7ade-5136-aab2-4335385bb19b | |
|---|---|
| afbeelding | https://www.nsgi.nl/iv-api/rdinfo/images/629/629502e.jpg |
| beheerinfo | n.v.t. |
| benaming | Viaduct Esschenweg - A 76 |
| blad | 629 |
| bladdeel | B |
| gid | |
| gps | 0 |
| honum | 12 |
| ingerekend | Ja |
| mutatie | 2 |
| punt | 502 |
| rekendossier | 920302 |
| uitgavejaarext | 2000 |
| uitgavevolgext | 3 |
| xrd | 192873 |
| yrd | 324073 |
| 5d062482-eb4d-5428-b914-d3dba91e5420 | |
|---|---|
| afbeelding | https://www.nsgi.nl/iv-api/rdinfo/images/629/629505e.jpg |
| beheerinfo | n.v.t. |
| benaming | Verkeersplein Bocholtz |
| blad | 629 |
| bladdeel | B |
| gid | |
| gps | 0 |
| honum | 12 |
| ingerekend | Ja |
| mutatie | 2 |
| punt | 505 |
| rekendossier | 901103 |
| uitgavejaarext | 2000 |
| uitgavevolgext | 3 |
| xrd | 198741 |
| yrd | 316224 |
| 9a4fd48f-944d-550d-8096-1e0f8b58d139 | |
|---|---|
| afbeelding | https://www.nsgi.nl/iv-api/rdinfo/images/629/629507e.jpg |
| beheerinfo | n.v.t. |
| benaming | Heesbergstraat 51 Heerlen |
| blad | 629 |
| bladdeel | B |
| gid | |
| gps | 0 |
| honum | 12 |
| ingerekend | Ja |
| mutatie | 2 |
| punt | 507 |
| rekendossier | 901103 |
| uitgavejaarext | 2000 |
| uitgavevolgext | 3 |
| xrd | 197456 |
| yrd | 320780 |